
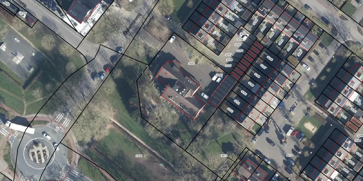
Didamseweg 94 is een adres in Zevenaar, dat zich bevindt binnen de gemeentegrenzen van Zevenaar en de grenzen van de provincie Gelderland. De oppervlakte van het verblijfsobject is met 638 m² aan de grote kant. Het perceel heeft een oppervlakte van 2018 m². De oppervlakte van dit adres is groot vergeleken met de oppervlaktes van andere adressen in de straat. De kleinste oppervlakte bedraagt er 13 m², de grootste 1154 m². De gemiddelde bouwperiode van gebouwen in Nederland ligt tussen de jaren 1965-1984. Dat geldt ook voor het bouwjaar van Didamseweg 94: het is gebouwd in het jaar 1973. Dit object is relatief nieuw in de straat. Het nieuwste gebouw komt er uit het jaar 2020 en het oudste uit het jaar 1856. Voor het verblijfsobject gelden deze gebruiksdoelen: 'kantoorfunctie'.
Het adres ligt op het perceel ZVN02-C-1931, dat zich in de kadastrale gemeente Oud-Zevenaar bevindt. Het perceel is met 2018 m² relatief groot. Het gemiddelde ligt in de kadastrale gemeente Oud-Zevenaar op 1872,79 m². Het kleinste perceel in de kadastrale gemeente is 0 m² groot. De grootste perceeloppervlakte is 23,9 ha. Op het perceel bevinden zich geen andere adressen. De huidige grenzen van het perceel zijn digitaal in de Basisregistratie Kadaster (BRK) geregistreerd op 28-01-2011.
Bij de laatste meting is voor het adres het energielabel A+ geregistreerd. Het hoogste energielabel in de straat is A+++++; het laagste is G. Het gemiddelde energielabel is er C. Het adres Didamseweg 94 heeft als status: 'verblijfsobject in gebruik'. Het pand waarin dit adres ligt heeft als status: 'pand in gebruik'.
Didamseweg 94 is een adres gelegen in de gemeente Zevenaar, provincie Gelderland. Dit adres is geregistreerd in de Basisregistratie Adressen en Gebouwen (BAG) met als unieke identificatie 0299010000423790.
Het pand op Didamseweg 94 is gebouwd in 1973, wat betekent dat het 53 jaar oud is. Dit is een ouder pand. Het pand heeft mogelijk aanzienlijke renovaties nodig om aan de huidige standaarden te voldoen.
De woning op Didamseweg 94 heeft een gebruiksoppervlakte van 638 m². Dit is ruim vergeleken met de gemiddelde Nederlandse woning, die een oppervlakte heeft van ongeveer 119 m². De gebruiksoppervlakte is de maat die wordt gebruikt in de BAG-registratie, de landelijke registratie van de Nederlandse overheid.
Didamseweg 94 heeft als functie: kantoor. Deze gebruiksfunctie(s) zijn vastgelegd in de BAG-registratie en geven aan waarvoor het adres officieel mag worden gebruikt.
Didamseweg 94 is gelegen op kadastraal perceel ZVN02C1931. Deze kadastrale aanduiding is uniek en wordt gebruikt door het Kadaster om eigendomsrechten en andere zakelijke rechten vast te leggen. Het perceel maakt onderdeel uit van de kadastrale gemeente Oud-Zevenaar.
Het perceel waarop Didamseweg 94 staat heeft een oppervlakte van 2018 m². Dit is een zeer groot perceel. De perceeloppervlakte wordt geregistreerd door het Kadaster. Gedetailleerde informatie over de maten van dit perceel kunt u vinden in het rapport Kadastrale kaart met maatvoering van Didamseweg 94.
De eigenaar van Didamseweg 94 is op te vragen op deze pagina
De informatie over dit adres is afkomstig uit officiële overheidsregistraties, voornamelijk de Basisregistratie Adressen en Gebouwen (BAG) en de Basisregistratie Kadaster (BRK). Deze gegevens worden beheerd door respectievelijk gemeenten en het Kadaster, en worden regelmatig bijgewerkt. Energielabelgegevens komen uit de database van de Rijksdienst voor Ondernemend Nederland (RVO).
