
Hoevenbos 19 is een adres in Zoetermeer, dat zich bevindt binnen de gemeentegrenzen van Zoetermeer en de grenzen van de provincie Zuid-Holland. Het perceel waarop het adres gelegen is heeft een oppervlakte van 4304 m². Het verblijfsobject is met 80 m² relatief klein. Het object is klein ten opzichte van de andere adressen in de straat. Het grootste verblijfsobject is 114 m² groot en het kleinste is 65 m². In Nederland komt het grootste deel van de gebouwen uit de periode 1965-1984. Ook het bouwjaar van Hoevenbos 19 is afkomstig uit die periode: het betreft namelijk een pand uit 1973. Het gemiddelde bouwjaar in de straat is 1973 en dat van het oudste pand is 1973. Dit is het nieuwste object in de straat. Het verblijfsobject heeft de volgende gebruiksdoelen: 'woonfunctie'.
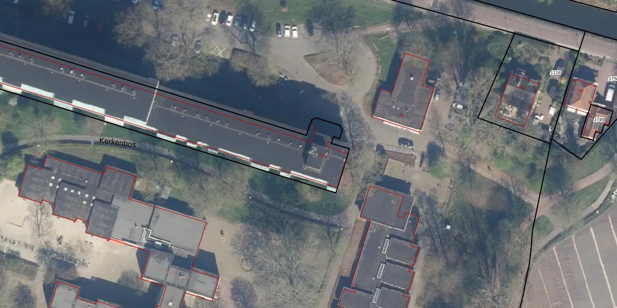
Het perceel waarop het adres ligt is ZTM00-F-1058. De afkorting 'ZTM00' staat voor kadastrale gemeente Zoetermeer. De gemiddelde perceeloppervlakte in de kadastrale gemeente Zoetermeer is 1511,56 m². Dit perceel is met zijn 4304 m² dus groter dan gemiddeld. Het grootste perceel in de kadastrale gemeente is 1,16 km². Het kleinste perceel heeft een oppervlakte van 0 m². Er zijn 307 adressen aanwezig op het perceel. De huidige grenzen van het perceel zijn digitaal in de Basisregistratie Kadaster (BRK) geregistreerd op 13-02-2004.
Het adres ligt in een gebouw van het type 'flatwoning (overig) met het subtype tussenmidden'. Bij de laatste meting is voor het adres het energielabel F geregistreerd. Het hoogste energielabel in de straat is C; het laagste is G. Het gemiddelde energielabel is er F. Het adres Hoevenbos 19 heeft als status: 'verblijfsobject in gebruik'. Het pand waarin dit adres ligt heeft als status: 'pand in gebruik'.
Hoevenbos 19 is een adres gelegen in de gemeente Zoetermeer, provincie Zuid-Holland. Dit adres is geregistreerd in de Basisregistratie Adressen en Gebouwen (BAG) met als unieke identificatie 0637010000285109.
Het pand op Hoevenbos 19 is gebouwd in 1973, wat betekent dat het 53 jaar oud is. Dit is een ouder pand. Het pand heeft mogelijk aanzienlijke renovaties nodig om aan de huidige standaarden te voldoen.
De woning op Hoevenbos 19 heeft een gebruiksoppervlakte van 80 m². Dit is onder het gemiddelde vergeleken met de gemiddelde Nederlandse woning, die een oppervlakte heeft van ongeveer 119 m². De gebruiksoppervlakte is de maat die wordt gebruikt in de BAG-registratie, de landelijke registratie van de Nederlandse overheid.
Hoevenbos 19 heeft als functie: wonen. Deze gebruiksfunctie(s) zijn vastgelegd in de BAG-registratie en geven aan waarvoor het adres officieel mag worden gebruikt.
Hoevenbos 19 is gelegen op kadastraal perceel ZTM00F1058. Deze kadastrale aanduiding is uniek en wordt gebruikt door het Kadaster om eigendomsrechten en andere zakelijke rechten vast te leggen. Het perceel maakt onderdeel uit van de kadastrale gemeente Zoetermeer.
Het perceel waarop Hoevenbos 19 staat heeft een oppervlakte van 4304 m². Dit is een zeer groot perceel. De perceeloppervlakte wordt geregistreerd door het Kadaster. Gedetailleerde informatie over de maten van dit perceel kunt u vinden in het rapport Kadastrale kaart met maatvoering van Hoevenbos 19.
De eigenaar van Hoevenbos 19 is op te vragen op deze pagina.
De informatie over dit adres is afkomstig uit officiële overheidsregistraties, voornamelijk de Basisregistratie Adressen en Gebouwen (BAG) en de Basisregistratie Kadaster (BRK). Deze gegevens worden beheerd door respectievelijk gemeenten en het Kadaster, en worden regelmatig bijgewerkt. Energielabelgegevens komen uit de database van de Rijksdienst voor Ondernemend Nederland (RVO).
