
Van Aalstlaan 20 is een adres in Zoetermeer, dat zich bevindt binnen de gemeentegrenzen van Zoetermeer en de grenzen van de provincie Zuid-Holland. De oppervlakte bedraagt 1529 m², waarmee het adres groter dan gemiddeld is. De grootte van het perceel waarop het adres ligt is 2202 m². In vergelijking met de andere adressen in de straat is de oppervlakte van dit object relatief groot. Het grootste verblijfsobject heeft een oppervlakte van 2155 m², de oppervlakte van het kleinste object bedraagt 33 m². De gemiddelde bouwperiode van gebouwen in Nederland ligt tussen de jaren 1965-1984. Dat geldt ook voor het bouwjaar van Van Aalstlaan 20: het is gebouwd in het jaar 1970. Dit is het oudste object in de straat. Het nieuwste pand komt uit 1995 en het gemiddelde bouwjaar in de straat is 1971. Het verblijfsobject heeft de volgende gebruiksdoelen: 'overige gebruiksfunctie'.
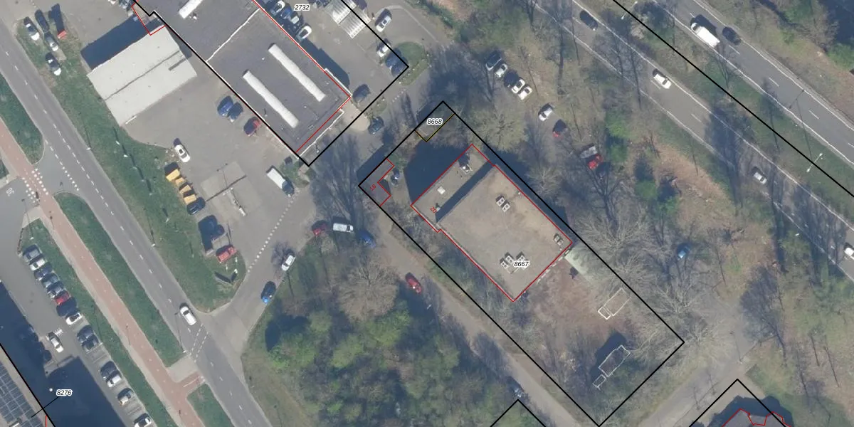
Het perceel waarop het adres ligt is ZWD01-B-8667. De afkorting 'ZWD01' staat voor kadastrale gemeente Zegwaard. De gemiddelde perceeloppervlakte in de kadastrale gemeente Zegwaard is 764,59 m². Dit perceel is met zijn 2202 m² dus groter dan gemiddeld. Het kleinste perceel in de kadastrale gemeente is 0 m² groot. De grootste perceeloppervlakte is 50,1 ha. Op het perceel zijn 2 adressen aanwezig. De huidige grenzen van het perceel zijn digitaal in de Basisregistratie Kadaster (BRK) geregistreerd op 04-07-2025.
Bij de laatste meting is voor het adres het energielabel G geregistreerd. Het hoogste energielabel in de straat is A+; het laagste is G. Het gemiddelde energielabel is er C. Het adres Van Aalstlaan 20 heeft als status: 'verblijfsobject in gebruik'. Het pand waarin dit adres ligt heeft als status: 'pand in gebruik'.
Van Aalstlaan 20 is een adres gelegen in de gemeente Zoetermeer, provincie Zuid-Holland. Dit adres is geregistreerd in de Basisregistratie Adressen en Gebouwen (BAG) met als unieke identificatie 0637010000285863.
Het pand op Van Aalstlaan 20 is gebouwd in 1970, wat betekent dat het 56 jaar oud is. Dit is een ouder pand. Het pand heeft mogelijk aanzienlijke renovaties nodig om aan de huidige standaarden te voldoen.
De woning op Van Aalstlaan 20 heeft een gebruiksoppervlakte van 1529 m². Dit is ruim vergeleken met de gemiddelde Nederlandse woning, die een oppervlakte heeft van ongeveer 119 m². De gebruiksoppervlakte is de maat die wordt gebruikt in de BAG-registratie, de landelijke registratie van de Nederlandse overheid.
Van Aalstlaan 20 heeft als functie: overige doeleinden. Deze gebruiksfunctie(s) zijn vastgelegd in de BAG-registratie en geven aan waarvoor het adres officieel mag worden gebruikt.
Van Aalstlaan 20 is gelegen op kadastraal perceel ZWD01B8667. Deze kadastrale aanduiding is uniek en wordt gebruikt door het Kadaster om eigendomsrechten en andere zakelijke rechten vast te leggen. Het perceel maakt onderdeel uit van de kadastrale gemeente Zegwaard.
Het perceel waarop Van Aalstlaan 20 staat heeft een oppervlakte van 2202 m². Dit is een zeer groot perceel. De perceeloppervlakte wordt geregistreerd door het Kadaster. Gedetailleerde informatie over de maten van dit perceel kunt u vinden in het rapport Kadastrale kaart met maatvoering van Van Aalstlaan 20.
De eigenaar van Van Aalstlaan 20 is op te vragen op deze pagina
De informatie over dit adres is afkomstig uit officiële overheidsregistraties, voornamelijk de Basisregistratie Adressen en Gebouwen (BAG) en de Basisregistratie Kadaster (BRK). Deze gegevens worden beheerd door respectievelijk gemeenten en het Kadaster, en worden regelmatig bijgewerkt. Energielabelgegevens komen uit de database van de Rijksdienst voor Ondernemend Nederland (RVO).
