Product Functies Prijzen Meer

Adressen

Gebruik de zoekbalk of klik op een perceel voor informatie over de adressen binnen dit perceel.
Locatie
Meten
Lagen
Download

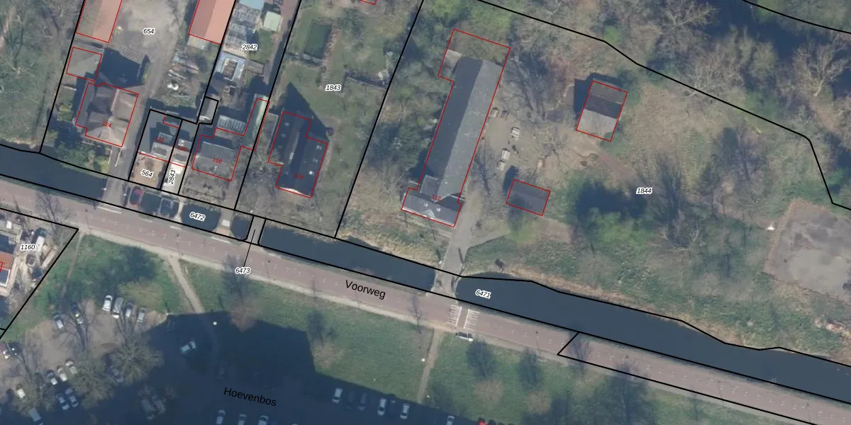
Voorweg 112

2715NG, Zoetermeer

€ 1519312 Wat moet ik bieden voor deze woning?
596 m²
bijeenkomstfunctie +1
6.815 m² perceeloppervlakte
G

Voorweg 112 is een adres in Zoetermeer, dat zich bevindt binnen de gemeentegrenzen van Zoetermeer en de grenzen van de provincie Zuid-Holland. Het object heeft een oppervlakte van 596 m², wat relatief groot is. Het perceel waarop het adres ligt is 6815 m² groot. De oppervlakte van dit adres is groot vergeleken met de oppervlaktes van andere adressen in de straat. De kleinste oppervlakte bedraagt er 30 m², de grootste 1,4 ha. Voorweg 112 bevindt zich in een pand uit het jaar 1871. Daarmee behoort het tot de groep relatief oude panden in Nederland die gebouwd zijn vóór 1965. Het bouwjaar is oud vergeleken met dat van de andere panden in de straat. Het oudste bouwjaar is er 1612 en de nieuwste is 2024. Het verblijfsobject heeft de volgende gebruiksdoelen: 'bijeenkomstfunctie' en 'overige gebruiksfunctie'.

Perceel

Het adres ligt op het perceel ZTM00-C-1844, dat zich in de kadastrale gemeente Zoetermeer bevindt. De gemiddelde perceeloppervlakte in de kadastrale gemeente Zoetermeer is 1511,56 m². Dit perceel is met zijn 6815 m² dus groter dan gemiddeld. Het grootste perceel in de kadastrale gemeente is 1,16 km². Het kleinste perceel heeft een oppervlakte van 0 m². Dit is het enige adres dat aanwezig is op het perceel. De huidige grenzen van het perceel zijn digitaal in de Basisregistratie Kadaster (BRK) geregistreerd op 15-04-2003.

Energielabel en status

Bij de laatste meting is voor het adres het energielabel G geregistreerd. Het hoogste energielabel in de straat is A+++; het laagste is G. Het gemiddelde energielabel is er C. Het adres Voorweg 112 heeft als status: 'verblijfsobject in gebruik'. Het pand waarin dit adres ligt heeft als status: 'pand in gebruik'.

Meer lezen

Adres

Gebruiksoppervlakte
596 m²
Bruto vloeroppervlakte
USa6DJUsMxUpgrade naar KadastraleKaart Pro
Gebruiksdoel(en)
Bijeenkomstfunctie, Overige Gebruiksfunctie
Status
Verblijfsobject in gebruik
Type
Utiliteitsbouw
Gasloos
D1s n1rmX2Upgrade naar KadastraleKaart Pro
Gebeurtenissen
Appartementsrechten
9EpXgzF5BrPxixLUpgrade naar KadastraleKaart Pro
Eigenaar
Eigendomsinformatie 12,95
Adresinformatie bestellen
Adrespakket 34,95
VBO ID
0637010000210075

Pand

Bouwjaar pand
1871
Aantal adressen in dit gebouw
1 adres
Hoogte pand
f QUgl CO1oXUWlCUpgrade naar KadastraleKaart Pro
Aantal bouwlagen (schatting)
260OBaiYpIfUpgrade naar KadastraleKaart Pro
Volume
jOktQ zODZE yxt p1dOP5Upgrade naar KadastraleKaart Pro
Oppervlakte dak
fKyReKtAqPcf4RdLnxUpgrade naar KadastraleKaart Pro
Oppervlakte buitenmuur
syetoqd Upgrade naar KadastraleKaart Pro
Status pand
Pand in gebruik
Pand ID
0637100000126970

Perceel

Kadastrale aanduiding
Zoetermeer C 1844 (ZTM00 C 1844)
Oppervlakte
6.815 m²
Maatvoering
Kadastrale kaart met maatvoering 59,95
Omtrek
362 meter
Datum laatst gewijzigd
15/04/2003
Aantal adressen op perceel
1
Hoogte boven N.A.P.
oYF7NBg1QSohv8nu omUUpgrade naar KadastraleKaart Pro

Veelgestelde vragen

Voorweg 112 is een adres gelegen in de gemeente Zoetermeer, provincie Zuid-Holland. Dit adres is geregistreerd in de Basisregistratie Adressen en Gebouwen (BAG) met als unieke identificatie 0637010000210075.

Het pand op Voorweg 112 is gebouwd in 1871, wat betekent dat het 155 jaar oud is. Dit is een ouder pand. Het pand heeft mogelijk aanzienlijke renovaties nodig om aan de huidige standaarden te voldoen.

De woning op Voorweg 112 heeft een gebruiksoppervlakte van 596 m². Dit is ruim vergeleken met de gemiddelde Nederlandse woning, die een oppervlakte heeft van ongeveer 119 m². De gebruiksoppervlakte is de maat die wordt gebruikt in de BAG-registratie, de landelijke registratie van de Nederlandse overheid.

Voorweg 112 heeft als functie: bijeenkomsten en overige doeleinden. Deze gebruiksfunctie(s) zijn vastgelegd in de BAG-registratie en geven aan waarvoor het adres officieel mag worden gebruikt.

Voorweg 112 is gelegen op kadastraal perceel ZTM00C1844. Deze kadastrale aanduiding is uniek en wordt gebruikt door het Kadaster om eigendomsrechten en andere zakelijke rechten vast te leggen. Het perceel maakt onderdeel uit van de kadastrale gemeente Zoetermeer.

Het perceel waarop Voorweg 112 staat heeft een oppervlakte van 6815 m². Dit is een zeer groot perceel. De perceeloppervlakte wordt geregistreerd door het Kadaster. Gedetailleerde informatie over de maten van dit perceel kunt u vinden in het rapport Kadastrale kaart met maatvoering van Voorweg 112.

De eigenaar van Voorweg 112 is op te vragen op deze pagina.

De informatie over dit adres is afkomstig uit officiële overheidsregistraties, voornamelijk de Basisregistratie Adressen en Gebouwen (BAG) en de Basisregistratie Kadaster (BRK). Deze gegevens worden beheerd door respectievelijk gemeenten en het Kadaster, en worden regelmatig bijgewerkt. Energielabelgegevens komen uit de database van de Rijksdienst voor Ondernemend Nederland (RVO).

Maatvoeringsrapport

Wie is de eigenaar?

Bekijk de eigenaar van Voorweg 112 met de eigendomsinformatie.
Bekijk de eigenaar van dit adres.
Maatvoeringsrapport

Maatvoering van het perceel

Bestel de maatvoering voor Voorweg 112 met het maatvoeringsrapport.
Bestel de maatvoering voor dit adres.

360°-foto's van de omgeving

Google Street View
Upgrade nu voor 360° Street View foto's

Zon en schaduw rondom adres

Buurt
Buitengebied-West
Inwoners: 145
Woningen: 52
Wijk
Buitengebied
Inwoners: 405
Woningen: 147
Gemeente
Zoetermeer
Inwoners: 128.434
Woningen: 56.668