
Dr. Kortmannstraat 103 is een adres in Zoeterwoude, dat zich bevindt binnen de gemeentegrenzen van Zoeterwoude en de grenzen van de provincie Zuid-Holland. Het object heeft een oppervlakte van 332 m², wat relatief groot is. Het perceel waarop het adres ligt is 8,8 ha groot. In vergelijking met de andere adressen in de straat is de oppervlakte van dit object relatief groot. Het grootste verblijfsobject heeft een oppervlakte van 1099 m², de oppervlakte van het kleinste object bedraagt 68 m². In het jaar 1990 is het pand waarin Dr. Kortmannstraat 103 ligt gebouwd. Dat is relatief recent: de meeste gebouwen in Nederland zijn gebouwd in de periode 1965-1984. Het bouwjaar is oud vergeleken met dat van de andere panden in de straat. Het oudste bouwjaar is er 1924 en de nieuwste is 2011. De volgende gebruiksdoelen zijn geregistreerd voor dit adres: 'industriefunctie'.
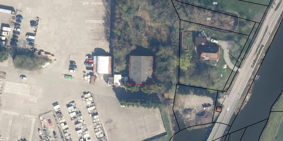
Het perceel waarop het adres ligt is ZTW01-F-532. De afkorting 'ZTW01' staat voor kadastrale gemeente Zoeterwoude. De oppervlakte van het perceel is 8,8 ha. Dat is groter dan gemiddeld in Zoeterwoude, waar de gemiddelde perceeloppervlakte op 4241,46 m² ligt. De grootste perceeloppervlakte in de kadastrale gemeente is 76,0 ha. De kleinste oppervlakte bedraagt 0 m². Dit is het enige adres dat aanwezig is op het perceel. De huidige grenzen van het perceel zijn digitaal in de Basisregistratie Kadaster (BRK) geregistreerd op 03-11-2020.
Er is geen energielabel geregistreerd voor het adres. Het hoogste energielabel in de straat is A+; het laagste is G. Het gemiddelde energielabel is er B. Het adres Dr. Kortmannstraat 103 heeft als status: 'verblijfsobject in gebruik'. Het pand waarin dit adres ligt heeft als status: 'pand in gebruik'.
Dr. Kortmannstraat 103 is een adres gelegen in de gemeente Zoeterwoude, provincie Zuid-Holland. Dit adres is geregistreerd in de Basisregistratie Adressen en Gebouwen (BAG) met als unieke identificatie 0638010000375978.
Het pand op Dr. Kortmannstraat 103 is gebouwd in 1990, wat betekent dat het 36 jaar oud is. Dit is een pand van middelbare leeftijd. Het pand is van gemiddelde leeftijd en zal waarschijnlijk verouderde elementen bevatten.
De woning op Dr. Kortmannstraat 103 heeft een gebruiksoppervlakte van 332 m². Dit is ruim vergeleken met de gemiddelde Nederlandse woning, die een oppervlakte heeft van ongeveer 119 m². De gebruiksoppervlakte is de maat die wordt gebruikt in de BAG-registratie, de landelijke registratie van de Nederlandse overheid.
Dr. Kortmannstraat 103 heeft als functie: industrie. Deze gebruiksfunctie(s) zijn vastgelegd in de BAG-registratie en geven aan waarvoor het adres officieel mag worden gebruikt.
Dr. Kortmannstraat 103 is gelegen op kadastraal perceel ZTW01F532. Deze kadastrale aanduiding is uniek en wordt gebruikt door het Kadaster om eigendomsrechten en andere zakelijke rechten vast te leggen. Het perceel maakt onderdeel uit van de kadastrale gemeente Zoeterwoude.
Het perceel waarop Dr. Kortmannstraat 103 staat heeft een oppervlakte van 8,8 ha. Dit is een zeer groot perceel. De perceeloppervlakte wordt geregistreerd door het Kadaster. Gedetailleerde informatie over de maten van dit perceel kunt u vinden in het rapport Kadastrale kaart met maatvoering van Dr. Kortmannstraat 103.
De eigenaar van Dr. Kortmannstraat 103 is op te vragen op deze pagina.
De informatie over dit adres is afkomstig uit officiële overheidsregistraties, voornamelijk de Basisregistratie Adressen en Gebouwen (BAG) en de Basisregistratie Kadaster (BRK). Deze gegevens worden beheerd door respectievelijk gemeenten en het Kadaster, en worden regelmatig bijgewerkt. Energielabelgegevens komen uit de database van de Rijksdienst voor Ondernemend Nederland (RVO).
