
Nieuweweg 4-A is gelegen in de plaats Zoeterwoude, de gemeente Zoeterwoude en de provincie Zuid-Holland. De oppervlakte van het verblijfsobject is met 260 m² aan de grote kant. Het perceel heeft een oppervlakte van 4,9 ha. In vergelijking met de andere adressen in de straat is de oppervlakte van dit object relatief groot. Het grootste verblijfsobject heeft een oppervlakte van 810 m², de oppervlakte van het kleinste object bedraagt 84 m². In Nederland komt het grootste deel van de gebouwen uit de periode 1965-1984. Ook het bouwjaar van Nieuweweg 4-A is afkomstig uit die periode: het betreft namelijk een pand uit 1970. Gemiddeld zijn de gebouwen in de straat gebouwd in 1978. Dit is het oudste pand in de straat. Het meest recente komt uit het jaar 2003. Voor het verblijfsobject gelden deze gebruiksdoelen: 'bijeenkomstfunctie'.
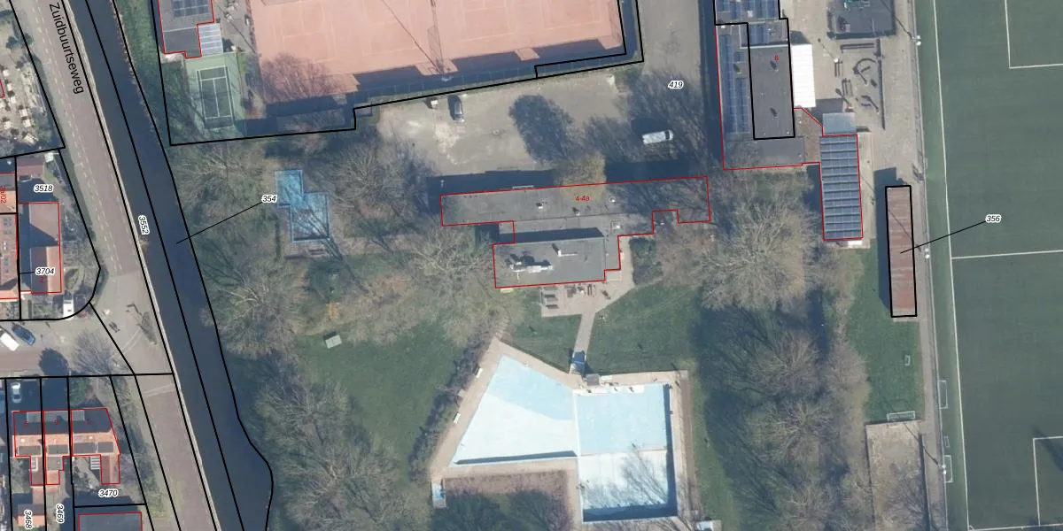
Het perceel waarop het adres ligt is ZTW01-G-419. De afkorting 'ZTW01' staat voor kadastrale gemeente Zoeterwoude. Het perceel is met 4,9 ha relatief groot. Het gemiddelde ligt in de kadastrale gemeente Zoeterwoude op 4247,2 m². Het grootste perceel in de kadastrale gemeente is 76,0 ha. Het kleinste perceel heeft een oppervlakte van 0 m². Op het perceel liggen in totaal 6 adressen. De laatste wijziging in het de Basisregistratie Kadaster (BRK) was op 02-12-2002.
Er is geen energielabel geregistreerd voor het adres. Het hoogste energielabel in de straat is G; het laagste is G. Het gemiddelde energielabel is er G. Het adres Nieuweweg 4-A heeft als status: 'verblijfsobject in gebruik'. Het pand waarin dit adres ligt heeft als status: 'pand in gebruik'.
Nieuweweg 4-A is een adres gelegen in de gemeente Zoeterwoude, provincie Zuid-Holland. Dit adres is geregistreerd in de Basisregistratie Adressen en Gebouwen (BAG) met als unieke identificatie 0638010000374543.
Het pand op Nieuweweg 4-A is gebouwd in 1970, wat betekent dat het 56 jaar oud is. Dit is een ouder pand. Het pand heeft mogelijk aanzienlijke renovaties nodig om aan de huidige standaarden te voldoen.
De woning op Nieuweweg 4-A heeft een gebruiksoppervlakte van 260 m². Dit is ruim vergeleken met de gemiddelde Nederlandse woning, die een oppervlakte heeft van ongeveer 119 m². De gebruiksoppervlakte is de maat die wordt gebruikt in de BAG-registratie, de landelijke registratie van de Nederlandse overheid.
Nieuweweg 4-A heeft als functie: bijeenkomsten. Deze gebruiksfunctie(s) zijn vastgelegd in de BAG-registratie en geven aan waarvoor het adres officieel mag worden gebruikt.
Nieuweweg 4-A is gelegen op kadastraal perceel ZTW01G419. Deze kadastrale aanduiding is uniek en wordt gebruikt door het Kadaster om eigendomsrechten en andere zakelijke rechten vast te leggen. Het perceel maakt onderdeel uit van de kadastrale gemeente Zoeterwoude.
Het perceel waarop Nieuweweg 4-A staat heeft een oppervlakte van 4,9 ha. Dit is een zeer groot perceel. De perceeloppervlakte wordt geregistreerd door het Kadaster. Gedetailleerde informatie over de maten van dit perceel kunt u vinden in het rapport Kadastrale kaart met maatvoering van Nieuweweg 4-A.
De eigenaar van Nieuweweg 4-A is op te vragen op deze pagina.
De informatie over dit adres is afkomstig uit officiële overheidsregistraties, voornamelijk de Basisregistratie Adressen en Gebouwen (BAG) en de Basisregistratie Kadaster (BRK). Deze gegevens worden beheerd door respectievelijk gemeenten en het Kadaster, en worden regelmatig bijgewerkt. Energielabelgegevens komen uit de database van de Rijksdienst voor Ondernemend Nederland (RVO).
