
Het adres Hoofdweg Zuid 107-a bevindt zich in de plaats Zuiddorpe, in de gemeente Zuiddorpe en de provincie Zeeland. De oppervlakte bedraagt 179 m², waarmee het adres groter dan gemiddeld is. De grootte van het perceel waarop het adres ligt is 680 m². In vergelijking met de andere adressen in de straat is de oppervlakte van dit object relatief groot. Het grootste verblijfsobject heeft een oppervlakte van 350 m², de oppervlakte van het kleinste object bedraagt 6 m². Hoofdweg Zuid 107-a ligt in een gebouw uit het jaar 2024. Daarmee behoort het tot de groep panden van na 1984, die we als relatief nieuw bestempelen. In de straat is dit het nieuwste pand en stamt het oudste object uit het jaar 1870. Het gemiddelde bouwjaar in de straat is 1942. Het verblijfsobject heeft de volgende gebruiksdoelen: 'woonfunctie'.
Deze woning is voor het laatst verkocht op 1 april 2020. Meer informatie over deze transactie? Bestel het Woningtransactierapport om de verkoopprijs en andere informatie te zien.
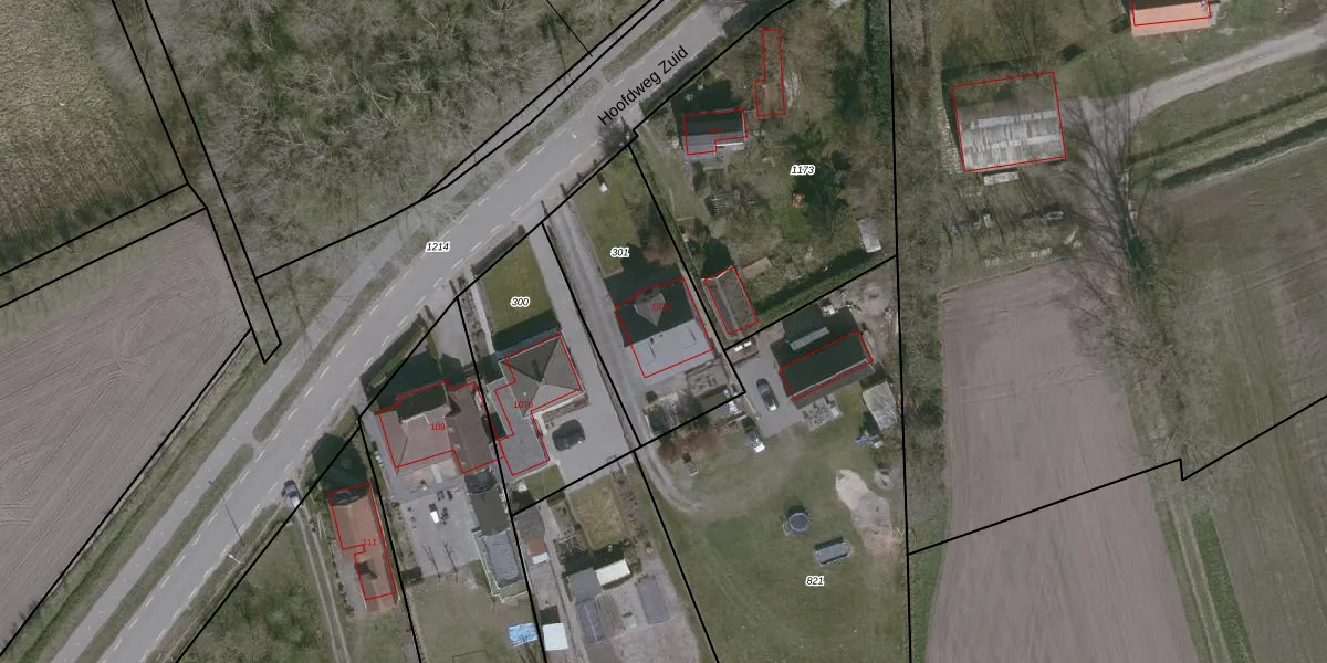
Het perceel waarop het adres ligt is AEL00-M-301. De afkorting 'AEL00' staat voor kadastrale gemeente Axel. Het perceel is kleiner dan gemiddeld in Axel. Het perceel is 680 m² groot, terwijl het gemiddelde ligt op 8040,87 m². Het grootste perceel in de kadastrale gemeente is 93,6 ha. Het kleinste perceel heeft een oppervlakte van 0 m². Er zijn geen andere adressen aanwezig op het perceel. In de Basisregistratie Kadaster (BRK) werden de grenzen van het perceel geregistreerd op 14-04-2009.
Er is geen energielabel geregistreerd voor het adres. Het hoogste energielabel in de straat is A; het laagste is G. Het gemiddelde energielabel is er E. Het adres Hoofdweg Zuid 107-a heeft als status: 'verblijfsobject in gebruik'. Het pand waarin dit adres ligt heeft als status: 'pand in gebruik'.
Hoofdweg Zuid 107-a is een adres gelegen in de gemeente Terneuzen, provincie Zeeland. Dit adres is geregistreerd in de Basisregistratie Adressen en Gebouwen (BAG) met als unieke identificatie 0715010000040612.
Het pand op Hoofdweg Zuid 107-a is gebouwd in 2024, wat betekent dat het 2 jaar oud is. Dit is een vrij nieuw pand. Het pand is dus waarschijnlijk goed geïsoleerd, geluidsdicht en voldoet aan de huidige bouwstandaarden. Op korte termijn zijn er waarschijnlijk weinig onderhoudskosten.
De woning op Hoofdweg Zuid 107-a heeft een gebruiksoppervlakte van 179 m². Dit is ruim vergeleken met de gemiddelde Nederlandse woning, die een oppervlakte heeft van ongeveer 119 m². De gebruiksoppervlakte is de maat die wordt gebruikt in de BAG-registratie, de landelijke registratie van de Nederlandse overheid.
Hoofdweg Zuid 107-a heeft als functie: wonen. Deze gebruiksfunctie(s) zijn vastgelegd in de BAG-registratie en geven aan waarvoor het adres officieel mag worden gebruikt.
Hoofdweg Zuid 107-a is gelegen op kadastraal perceel AEL00M301. Deze kadastrale aanduiding is uniek en wordt gebruikt door het Kadaster om eigendomsrechten en andere zakelijke rechten vast te leggen. Het perceel maakt onderdeel uit van de kadastrale gemeente Axel.
Het perceel waarop Hoofdweg Zuid 107-a staat heeft een oppervlakte van 680 m². Dit is een groot perceel. De perceeloppervlakte wordt geregistreerd door het Kadaster. Gedetailleerde informatie over de maten van dit perceel kunt u vinden in het rapport Kadastrale kaart met maatvoering van Hoofdweg Zuid 107-a.
De eigenaar van Hoofdweg Zuid 107-a is op te vragen op deze pagina.
De informatie over dit adres is afkomstig uit officiële overheidsregistraties, voornamelijk de Basisregistratie Adressen en Gebouwen (BAG) en de Basisregistratie Kadaster (BRK). Deze gegevens worden beheerd door respectievelijk gemeenten en het Kadaster, en worden regelmatig bijgewerkt. Energielabelgegevens komen uit de database van de Rijksdienst voor Ondernemend Nederland (RVO).
