
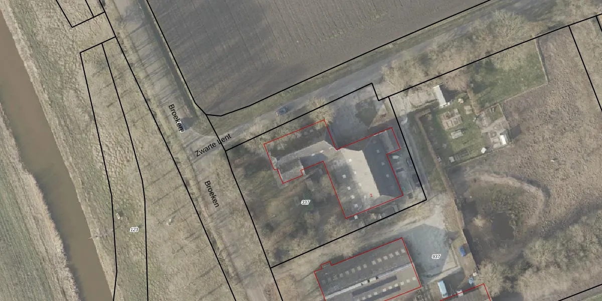
Het adres Broeken 2 bevindt zich in de plaats Zuidlaarderveen, in de gemeente Zuidlaarderveen en de provincie Drenthe. De oppervlakte van het verblijfsobject is met 345 m² aan de grote kant. Het perceel heeft een oppervlakte van 2370 m². In de straat is dit het adres met de grootste oppervlakte. De objecten in de straat zijn gemiddeld 240 m² groot. Het kleinste verblijfsobject heeft een oppervlakte van 134 m². Het adres Broeken 2 ligt in een relatief oud pand uit het jaar 1900. Panden van vóór het jaar 1965 hebben we hier geclassificeerd als oud. Dit pand is het meest recent exemplaar in de straat. Het oudste object komt er uit 1900 en het gemiddelde bouwjaar is 1900. Het verblijfsobject heeft de volgende gebruiksdoelen: 'woonfunctie' en 'industriefunctie'.
Deze woning is voor het laatst verkocht op 1 juli 2015. Meer informatie over deze transactie? Bestel het Woningtransactierapport om de verkoopprijs en andere informatie te zien.
Het perceel waarop het adres ligt is ZLR00-L-337. De afkorting 'ZLR00' staat voor kadastrale gemeente Zuidlaren. Het perceel is kleiner dan gemiddeld in Zuidlaren. Het perceel is 2370 m² groot, terwijl het gemiddelde ligt op 4878,2 m². De grootste perceeloppervlakte in de kadastrale gemeente is 1,46 km². De kleinste oppervlakte bedraagt 0 m². Op het perceel bevinden zich geen andere adressen. In de Basisregistratie Kadaster (BRK) werden de grenzen van het perceel geregistreerd op 09-07-2009.
Het adres ligt in een gebouw van het type 'vrijstaande woning'. Bij de laatste meting is voor het adres het energielabel G geregistreerd. Het hoogste energielabel in de straat is G; het laagste is G. Het gemiddelde energielabel is er G. Het adres Broeken 2 heeft als status: 'verblijfsobject in gebruik'. Het pand waarin dit adres ligt heeft als status: 'pand in gebruik'.
Broeken 2 is een adres gelegen in de gemeente Tynaarlo, provincie Drenthe. Dit adres is geregistreerd in de Basisregistratie Adressen en Gebouwen (BAG) met als unieke identificatie 1730010000013133.
Het pand op Broeken 2 is gebouwd in 1900, wat betekent dat het 126 jaar oud is. Dit is een ouder pand. Het pand heeft mogelijk aanzienlijke renovaties nodig om aan de huidige standaarden te voldoen.
De woning op Broeken 2 heeft een gebruiksoppervlakte van 345 m². Dit is ruim vergeleken met de gemiddelde Nederlandse woning, die een oppervlakte heeft van ongeveer 119 m². De gebruiksoppervlakte is de maat die wordt gebruikt in de BAG-registratie, de landelijke registratie van de Nederlandse overheid.
Broeken 2 heeft als functie: wonen en industrie. Deze gebruiksfunctie(s) zijn vastgelegd in de BAG-registratie en geven aan waarvoor het adres officieel mag worden gebruikt.
Broeken 2 is gelegen op kadastraal perceel ZLR00L337. Deze kadastrale aanduiding is uniek en wordt gebruikt door het Kadaster om eigendomsrechten en andere zakelijke rechten vast te leggen. Het perceel maakt onderdeel uit van de kadastrale gemeente Zuidlaren.
Het perceel waarop Broeken 2 staat heeft een oppervlakte van 2370 m². Dit is een zeer groot perceel. De perceeloppervlakte wordt geregistreerd door het Kadaster. Gedetailleerde informatie over de maten van dit perceel kunt u vinden in het rapport Kadastrale kaart met maatvoering van Broeken 2.
De eigenaar van Broeken 2 is op te vragen op deze pagina.
De informatie over dit adres is afkomstig uit officiële overheidsregistraties, voornamelijk de Basisregistratie Adressen en Gebouwen (BAG) en de Basisregistratie Kadaster (BRK). Deze gegevens worden beheerd door respectievelijk gemeenten en het Kadaster, en worden regelmatig bijgewerkt. Energielabelgegevens komen uit de database van de Rijksdienst voor Ondernemend Nederland (RVO).
