
Steenbergen 7-a is gelegen in de plaats Zuidwolde, de gemeente De Wolden en de provincie Drenthe. Het object heeft een oppervlakte van 180 m², wat relatief groot is. Het perceel waarop het adres ligt is 9373 m² groot. Het object is klein ten opzichte van de andere adressen in de straat. Het grootste verblijfsobject is 691 m² groot en het kleinste is 103 m². Steenbergen 7-a bevindt zich in een pand uit het jaar 1745. Daarmee behoort het tot de groep relatief oude panden in Nederland die gebouwd zijn vóór 1965. Het gemiddelde bouwjaar in de straat is 1851 en dat van het nieuwste object 2007. In de straat is dit het oudste pand. De volgende gebruiksdoelen zijn geregistreerd voor dit adres: 'woonfunctie'.
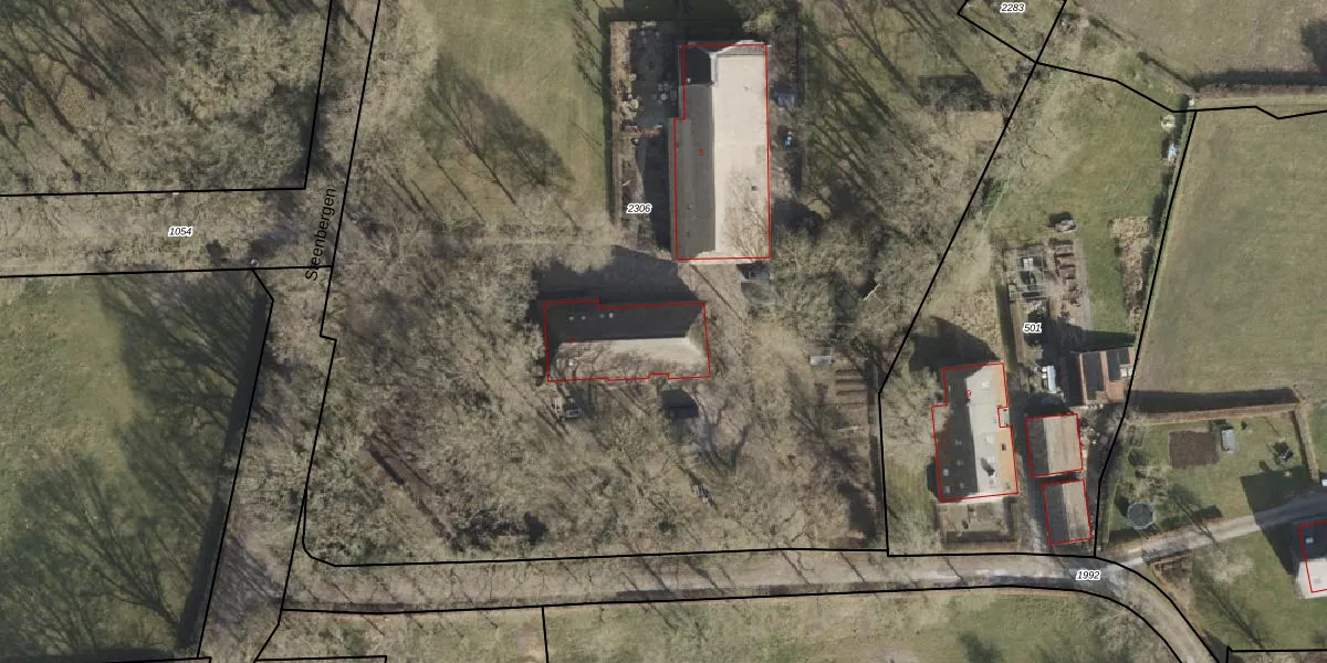
Het perceel waarop het adres ligt is ZWD02-Q-2306. De afkorting 'ZWD02' staat voor kadastrale gemeente Zuidwolde. Het perceel is 9373 m² groot. Dat is kleiner dan de gemiddelde perceeloppervlakte in Zuidwolde, dat op 1,0 ha ligt. Het grootste perceel in de kadastrale gemeente is 1,26 km². Het kleinste perceel heeft een oppervlakte van 0 m². Er zijn 4 adressen aanwezig op het perceel. De laatste wijziging in het de Basisregistratie Kadaster (BRK) was op 15-05-2018.
Er is geen energielabel geregistreerd voor het adres. Het hoogste energielabel in de straat is B; het laagste is G. Het gemiddelde energielabel is er E. Het adres Steenbergen 7-a heeft als status: 'verblijfsobject gevormd'. Het pand waarin dit adres ligt heeft als status: 'pand in gebruik'.
Steenbergen 7-a is een adres gelegen in de gemeente De Wolden, provincie Drenthe. Dit adres is geregistreerd in de Basisregistratie Adressen en Gebouwen (BAG) met als unieke identificatie 1690010000012435.
Het pand op Steenbergen 7-a is gebouwd in 1745, wat betekent dat het 281 jaar oud is. Dit is een ouder pand. Het pand heeft mogelijk aanzienlijke renovaties nodig om aan de huidige standaarden te voldoen.
De woning op Steenbergen 7-a heeft een gebruiksoppervlakte van 180 m². Dit is ruim vergeleken met de gemiddelde Nederlandse woning, die een oppervlakte heeft van ongeveer 119 m². De gebruiksoppervlakte is de maat die wordt gebruikt in de BAG-registratie, de landelijke registratie van de Nederlandse overheid.
Steenbergen 7-a heeft als functie: wonen. Deze gebruiksfunctie(s) zijn vastgelegd in de BAG-registratie en geven aan waarvoor het adres officieel mag worden gebruikt.
Steenbergen 7-a is gelegen op kadastraal perceel ZWD02Q2306. Deze kadastrale aanduiding is uniek en wordt gebruikt door het Kadaster om eigendomsrechten en andere zakelijke rechten vast te leggen. Het perceel maakt onderdeel uit van de kadastrale gemeente Zuidwolde.
Het perceel waarop Steenbergen 7-a staat heeft een oppervlakte van 9373 m². Dit is een zeer groot perceel. De perceeloppervlakte wordt geregistreerd door het Kadaster. Gedetailleerde informatie over de maten van dit perceel kunt u vinden in het rapport Kadastrale kaart met maatvoering van Steenbergen 7-a.
De eigenaar van Steenbergen 7-a is op te vragen op deze pagina.
De informatie over dit adres is afkomstig uit officiële overheidsregistraties, voornamelijk de Basisregistratie Adressen en Gebouwen (BAG) en de Basisregistratie Kadaster (BRK). Deze gegevens worden beheerd door respectievelijk gemeenten en het Kadaster, en worden regelmatig bijgewerkt. Energielabelgegevens komen uit de database van de Rijksdienst voor Ondernemend Nederland (RVO).
