
Lavendelring 74 is een adres in Zundert, dat zich bevindt binnen de gemeentegrenzen van Zundert en de grenzen van de provincie Noord-Brabant. De oppervlakte bedraagt 160 m², waarmee het adres groter dan gemiddeld is. De grootte van het perceel waarop het adres ligt is 2127 m². Dit is het adres met de grootste oppervlakte van alle adressen in de straat. Gemiddeld hebben de objecten in de straat een oppervlakte van 94 m². De kleinste oppervlakte is er 44 m². De meeste Nederlandse gebouwen zijn gebouwd in de periode 1965-1984. Zo ook het pand waarin Lavendelring 74 ligt, dat gebouwd is in 1983. In de straat komt het nieuwste gebouw uit het jaar 1985 en het oudste uit 1982. Het bouwjaar van dit object is relatief oud. De volgende gebruiksdoelen zijn geregistreerd voor dit adres: 'woonfunctie'.
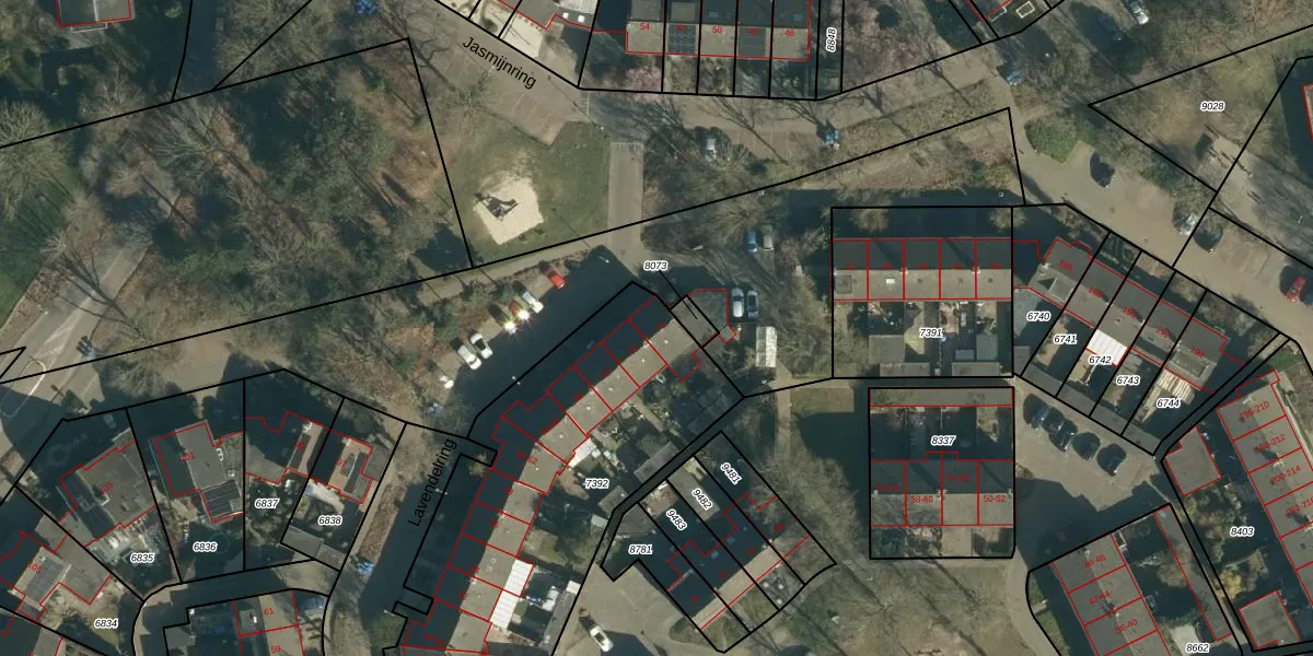
Het adres ligt op het perceel ZDT02-K-7392, dat zich in de kadastrale gemeente Zundert bevindt. Het perceel is 2127 m² groot. Dat is kleiner dan de gemiddelde perceeloppervlakte in Zundert, dat op 6761,2 m² ligt. De grootste perceeloppervlakte in de kadastrale gemeente is 71,5 ha. De kleinste oppervlakte bedraagt 0 m². Op het perceel zijn 20 adressen aanwezig. De huidige grenzen van het perceel zijn digitaal in de Basisregistratie Kadaster (BRK) geregistreerd op 18-03-2009.
Het adres ligt in een gebouw van het type 'twee-onder-een-kap / rijwoning hoek met het subtype rijwoning'. Bij de laatste meting is voor het adres het energielabel B geregistreerd. Het hoogste energielabel in de straat is A; het laagste is G. Het gemiddelde energielabel is er B. Het adres Lavendelring 74 heeft als status: 'verblijfsobject in gebruik'. Het pand waarin dit adres ligt heeft als status: 'pand in gebruik'.
Lavendelring 74 is een adres gelegen in de gemeente Zundert, provincie Noord-Brabant. Dit adres is geregistreerd in de Basisregistratie Adressen en Gebouwen (BAG) met als unieke identificatie 0879010000006238.
Het pand op Lavendelring 74 is gebouwd in 1983, wat betekent dat het 43 jaar oud is. Dit is een pand van middelbare leeftijd. Het pand is van gemiddelde leeftijd en zal waarschijnlijk verouderde elementen bevatten.
De woning op Lavendelring 74 heeft een gebruiksoppervlakte van 160 m². Dit is ruim vergeleken met de gemiddelde Nederlandse woning, die een oppervlakte heeft van ongeveer 119 m². De gebruiksoppervlakte is de maat die wordt gebruikt in de BAG-registratie, de landelijke registratie van de Nederlandse overheid.
Lavendelring 74 heeft als functie: wonen. Deze gebruiksfunctie(s) zijn vastgelegd in de BAG-registratie en geven aan waarvoor het adres officieel mag worden gebruikt.
Lavendelring 74 is gelegen op kadastraal perceel ZDT02K7392. Deze kadastrale aanduiding is uniek en wordt gebruikt door het Kadaster om eigendomsrechten en andere zakelijke rechten vast te leggen. Het perceel maakt onderdeel uit van de kadastrale gemeente Zundert.
Het perceel waarop Lavendelring 74 staat heeft een oppervlakte van 2127 m². Dit is een zeer groot perceel. De perceeloppervlakte wordt geregistreerd door het Kadaster. Gedetailleerde informatie over de maten van dit perceel kunt u vinden in het rapport Kadastrale kaart met maatvoering van Lavendelring 74.
De eigenaar van Lavendelring 74 is op te vragen op deze pagina.
De informatie over dit adres is afkomstig uit officiële overheidsregistraties, voornamelijk de Basisregistratie Adressen en Gebouwen (BAG) en de Basisregistratie Kadaster (BRK). Deze gegevens worden beheerd door respectievelijk gemeenten en het Kadaster, en worden regelmatig bijgewerkt. Energielabelgegevens komen uit de database van de Rijksdienst voor Ondernemend Nederland (RVO).
