
Het adres Berkenlaan 66 bevindt zich in de plaats Zutphen, in de gemeente Zutphen en de provincie Gelderland. Het verblijfsobject is vergeleken met het Nederlandse gemiddelde aan de kleine kant: de oppervlakte is 72 m². Het perceel waarop het adres zich bevindt heeft een oppervlakte van 2542 m². Het adres is klein vergeleken met andere objecten in de straat. Het grootste object in de straat heeft een oppervlakte van 6110 m², het kleinste is 18 m² groot. Berkenlaan 66 bevindt zich in een pand uit het jaar 1959. Daarmee behoort het tot de groep relatief oude panden in Nederland die gebouwd zijn vóór 1965. Gemiddeld zijn de gebouwen in de straat gebouwd in 1962. Dit is het oudste pand in de straat. Het meest recente komt uit het jaar 1995. Het verblijfsobject heeft de volgende gebruiksdoelen: 'woonfunctie'.
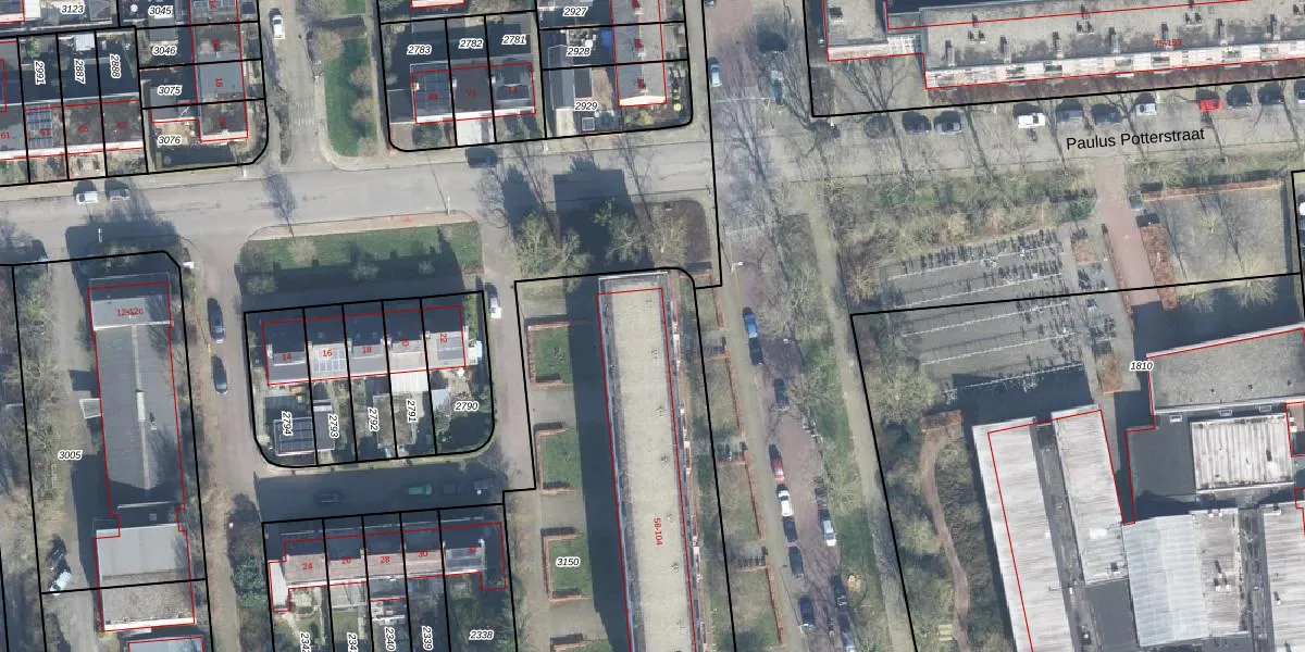
Het adres ligt op het perceel ZPN00-C-3150, dat zich in de kadastrale gemeente Zutphen bevindt. De gemiddelde perceeloppervlakte in de kadastrale gemeente Zutphen is 1484,95 m². Dit perceel is met zijn 2542 m² dus groter dan gemiddeld. Het grootste perceel in de kadastrale gemeente is 37,1 ha. Het kleinste perceel heeft een oppervlakte van 0 m². Op het perceel liggen in totaal 32 adressen. In de Basisregistratie Kadaster (BRK) werden de grenzen van het perceel geregistreerd op 24-06-2009.
Het adres ligt in een gebouw van het type 'flatwoning (overig) met het subtype tussenmidden'. Bij de laatste meting is voor het adres het energielabel A geregistreerd. Het hoogste energielabel in de straat is A; het laagste is G. Het gemiddelde energielabel is er D. Het adres Berkenlaan 66 heeft als status: 'verblijfsobject in gebruik'. Het pand waarin dit adres ligt heeft als status: 'pand in gebruik'.
Berkenlaan 66 is een adres gelegen in de gemeente Zutphen, provincie Gelderland. Dit adres is geregistreerd in de Basisregistratie Adressen en Gebouwen (BAG) met als unieke identificatie 0301010000007543.
Het pand op Berkenlaan 66 is gebouwd in 1959, wat betekent dat het 67 jaar oud is. Dit is een ouder pand. Het pand heeft mogelijk aanzienlijke renovaties nodig om aan de huidige standaarden te voldoen.
De woning op Berkenlaan 66 heeft een gebruiksoppervlakte van 72 m². Dit is relatief klein vergeleken met de gemiddelde Nederlandse woning, die een oppervlakte heeft van ongeveer 119 m². De gebruiksoppervlakte is de maat die wordt gebruikt in de BAG-registratie, de landelijke registratie van de Nederlandse overheid.
Berkenlaan 66 heeft als functie: wonen. Deze gebruiksfunctie(s) zijn vastgelegd in de BAG-registratie en geven aan waarvoor het adres officieel mag worden gebruikt.
Berkenlaan 66 is gelegen op kadastraal perceel ZPN00C3150. Deze kadastrale aanduiding is uniek en wordt gebruikt door het Kadaster om eigendomsrechten en andere zakelijke rechten vast te leggen. Het perceel maakt onderdeel uit van de kadastrale gemeente Zutphen.
Het perceel waarop Berkenlaan 66 staat heeft een oppervlakte van 2542 m². Dit is een zeer groot perceel. De perceeloppervlakte wordt geregistreerd door het Kadaster. Gedetailleerde informatie over de maten van dit perceel kunt u vinden in het rapport Kadastrale kaart met maatvoering van Berkenlaan 66.
De eigenaar van Berkenlaan 66 is op te vragen op deze pagina.
De informatie over dit adres is afkomstig uit officiële overheidsregistraties, voornamelijk de Basisregistratie Adressen en Gebouwen (BAG) en de Basisregistratie Kadaster (BRK). Deze gegevens worden beheerd door respectievelijk gemeenten en het Kadaster, en worden regelmatig bijgewerkt. Energielabelgegevens komen uit de database van de Rijksdienst voor Ondernemend Nederland (RVO).
