
Bronsbergen 2-a is een adres in Zutphen, dat zich bevindt binnen de gemeentegrenzen van Zutphen en de grenzen van de provincie Gelderland. De oppervlakte bedraagt 169 m², waarmee het adres groter dan gemiddeld is. De grootte van het perceel waarop het adres ligt is 1920 m². In vergelijking met de andere adressen in de straat is de oppervlakte van dit object relatief groot. Het grootste verblijfsobject heeft een oppervlakte van 2875 m², de oppervlakte van het kleinste object bedraagt 36 m². In het jaar 1994 is het pand waarin Bronsbergen 2-a ligt gebouwd. Dat is relatief recent: de meeste gebouwen in Nederland zijn gebouwd in de periode 1965-1984. Veel andere gebouwen in de straat zijn ouder dan dit pand. Het oudste pand komt uit het jaar 1758 en het nieuwste uit 2024. De volgende gebruiksdoelen zijn geregistreerd voor dit adres: 'woonfunctie'.
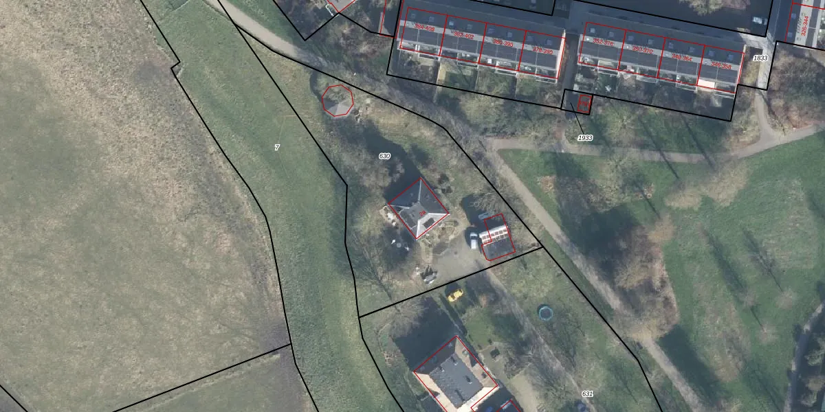
Het perceel waarop het adres ligt is ZPN00-R-630. De afkorting 'ZPN00' staat voor kadastrale gemeente Zutphen. De oppervlakte van het perceel is 1920 m². Dat is groter dan gemiddeld in Zutphen, waar de gemiddelde perceeloppervlakte op 1484,95 m² ligt. De grootste perceeloppervlakte in de kadastrale gemeente is 37,1 ha. De kleinste oppervlakte bedraagt 0 m². Er zijn geen andere adressen aanwezig op het perceel. De huidige grenzen van het perceel zijn digitaal in de Basisregistratie Kadaster (BRK) geregistreerd op 15-09-2010.
Er is geen energielabel geregistreerd voor het adres. Het hoogste energielabel in de straat is A++; het laagste is G. Het gemiddelde energielabel is er B. Het adres Bronsbergen 2-a heeft als status: 'verblijfsobject in gebruik'. Het pand waarin dit adres ligt heeft als status: 'pand in gebruik'.
Bronsbergen 2-a is een adres gelegen in de gemeente Zutphen, provincie Gelderland. Dit adres is geregistreerd in de Basisregistratie Adressen en Gebouwen (BAG) met als unieke identificatie 0301010000018953.
Het pand op Bronsbergen 2-a is gebouwd in 1994, wat betekent dat het 32 jaar oud is. Dit is een pand van middelbare leeftijd. Het pand is van gemiddelde leeftijd en zal waarschijnlijk verouderde elementen bevatten.
De woning op Bronsbergen 2-a heeft een gebruiksoppervlakte van 169 m². Dit is ruim vergeleken met de gemiddelde Nederlandse woning, die een oppervlakte heeft van ongeveer 119 m². De gebruiksoppervlakte is de maat die wordt gebruikt in de BAG-registratie, de landelijke registratie van de Nederlandse overheid.
Bronsbergen 2-a heeft als functie: wonen. Deze gebruiksfunctie(s) zijn vastgelegd in de BAG-registratie en geven aan waarvoor het adres officieel mag worden gebruikt.
Bronsbergen 2-a is gelegen op kadastraal perceel ZPN00R630. Deze kadastrale aanduiding is uniek en wordt gebruikt door het Kadaster om eigendomsrechten en andere zakelijke rechten vast te leggen. Het perceel maakt onderdeel uit van de kadastrale gemeente Zutphen.
Het perceel waarop Bronsbergen 2-a staat heeft een oppervlakte van 1920 m². Dit is een zeer groot perceel. De perceeloppervlakte wordt geregistreerd door het Kadaster. Gedetailleerde informatie over de maten van dit perceel kunt u vinden in het rapport Kadastrale kaart met maatvoering van Bronsbergen 2-a.
De eigenaar van Bronsbergen 2-a is op te vragen op deze pagina.
De informatie over dit adres is afkomstig uit officiële overheidsregistraties, voornamelijk de Basisregistratie Adressen en Gebouwen (BAG) en de Basisregistratie Kadaster (BRK). Deze gegevens worden beheerd door respectievelijk gemeenten en het Kadaster, en worden regelmatig bijgewerkt. Energielabelgegevens komen uit de database van de Rijksdienst voor Ondernemend Nederland (RVO).
