
Het adres van Drinenstraat 78-G-147 bevindt zich in de plaats Zutphen, in de gemeente Zutphen en de provincie Gelderland. Het perceel waarop het adres gelegen is heeft een oppervlakte van 3110 m². Het verblijfsobject is met 17 m² relatief klein. Er zijn geen kleinere objecten in deze straat. De gemiddelde oppervlakte is er 54 m². Het grootste verblijfsobject is 392 m². De meeste Nederlandse gebouwen zijn gebouwd in de periode 1965-1984. Zo ook het pand waarin van Drinenstraat 78-G-147 ligt, dat gebouwd is in 1967. Het bouwjaar is oud vergeleken met dat van de andere panden in de straat. Het oudste bouwjaar is er 1966 en de nieuwste is 1973. Voor het verblijfsobject gelden deze gebruiksdoelen: 'overige gebruiksfunctie'.
Het adres ligt op het perceel ZPN00-H-162, dat zich in de kadastrale gemeente Zutphen bevindt. Het perceel is met 3110 m² relatief groot. Het gemiddelde ligt in de kadastrale gemeente Zutphen op 1485,03 m². De grootste perceeloppervlakte in de kadastrale gemeente is 37,1 ha. De kleinste oppervlakte bedraagt 0 m². Er zijn 58 adressen aanwezig op het perceel. In de Basisregistratie Kadaster (BRK) werden de grenzen van het perceel geregistreerd op 15-03-2017.
Er is geen energielabel geregistreerd voor het adres. Het hoogste energielabel in de straat is A+; het laagste is G. Het gemiddelde energielabel is er A. Het adres van Drinenstraat 78-G-147 heeft als status: 'verblijfsobject in gebruik'. Het pand waarin dit adres ligt heeft als status: 'pand in gebruik'.
van Drinenstraat 78-G-147 is een adres gelegen in de gemeente Zutphen, provincie Gelderland. Dit adres is geregistreerd in de Basisregistratie Adressen en Gebouwen (BAG) met als unieke identificatie 0301010000008079.
Het pand op van Drinenstraat 78-G-147 is gebouwd in 1967, wat betekent dat het 59 jaar oud is. Dit is een ouder pand. Het pand heeft mogelijk aanzienlijke renovaties nodig om aan de huidige standaarden te voldoen.
De woning op van Drinenstraat 78-G-147 heeft een gebruiksoppervlakte van 17 m². Dit is relatief klein vergeleken met de gemiddelde Nederlandse woning, die een oppervlakte heeft van ongeveer 119 m². De gebruiksoppervlakte is de maat die wordt gebruikt in de BAG-registratie, de landelijke registratie van de Nederlandse overheid.
van Drinenstraat 78-G-147 heeft als functie: overige doeleinden. Deze gebruiksfunctie(s) zijn vastgelegd in de BAG-registratie en geven aan waarvoor het adres officieel mag worden gebruikt.
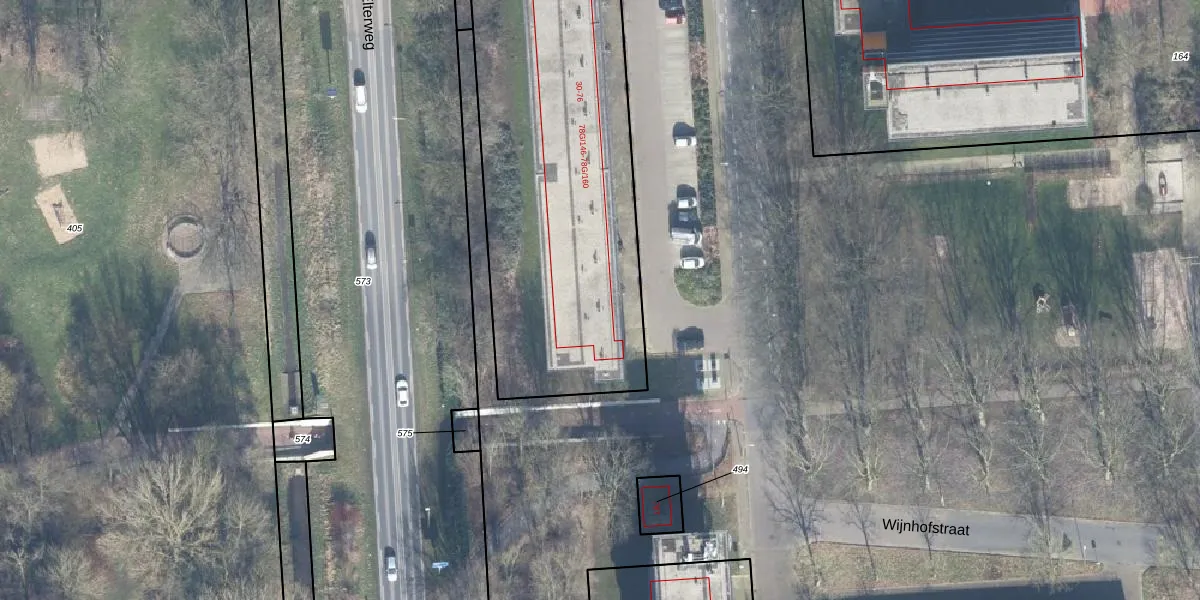
van Drinenstraat 78-G-147 is gelegen op kadastraal perceel ZPN00H162. Deze kadastrale aanduiding is uniek en wordt gebruikt door het Kadaster om eigendomsrechten en andere zakelijke rechten vast te leggen. Het perceel maakt onderdeel uit van de kadastrale gemeente Zutphen.
Het perceel waarop van Drinenstraat 78-G-147 staat heeft een oppervlakte van 3110 m². Dit is een zeer groot perceel. De perceeloppervlakte wordt geregistreerd door het Kadaster. Gedetailleerde informatie over de maten van dit perceel kunt u vinden in het rapport Kadastrale kaart met maatvoering van van Drinenstraat 78-G-147.
De eigenaar van van Drinenstraat 78-G-147 is op te vragen op deze pagina.
De informatie over dit adres is afkomstig uit officiële overheidsregistraties, voornamelijk de Basisregistratie Adressen en Gebouwen (BAG) en de Basisregistratie Kadaster (BRK). Deze gegevens worden beheerd door respectievelijk gemeenten en het Kadaster, en worden regelmatig bijgewerkt. Energielabelgegevens komen uit de database van de Rijksdienst voor Ondernemend Nederland (RVO).
