
Het adres Leemweg 45 bevindt zich in de plaats Zwartebroek, in de gemeente Zwartebroek en de provincie Gelderland. Het verblijfsobject is 133 m² groot en bevindt zich op een perceel met een oppervlakte van 760 m². Gemiddeld hebben adressen in Nederland een oppervlakte van 119 m². Dit is het kleinste object van de straat. De gemiddelde oppervlakte van verblijfsobjecten is er 180 m². De grootste oppervlakte in de straat is 316 m². Leemweg 45 ligt in een gebouw uit het jaar 1993. Daarmee behoort het tot de groep panden van na 1984, die we als relatief nieuw bestempelen. Het gemiddelde bouwjaar in de straat is 1961 en dat van het oudste pand is 1874. Dit is het nieuwste object in de straat. Het verblijfsobject heeft de volgende gebruiksdoelen: 'woonfunctie'.
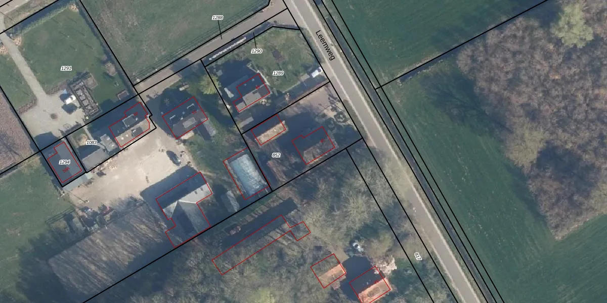
Het adres is gelegen op perceel 852 in de sectie B en de kadastrale gemeente Voorthuizen. De kadastrale aanduiding is aldus VHZ02-B-852. Het perceel is kleiner dan gemiddeld in Voorthuizen. Het perceel is 760 m² groot, terwijl het gemiddelde ligt op 3361,21 m². Het grootste perceel in de kadastrale gemeente is 61,0 ha. Het kleinste perceel heeft een oppervlakte van 0 m². Dit is het enige adres dat aanwezig is op het perceel. In de Basisregistratie Kadaster (BRK) werden de grenzen van het perceel geregistreerd op 17-10-2002.
Er is geen energielabel geregistreerd voor het adres. Het hoogste energielabel in de straat is A; het laagste is G. Het gemiddelde energielabel is er D. Het adres Leemweg 45 heeft als status: 'verblijfsobject in gebruik'. Het pand waarin dit adres ligt heeft als status: 'pand in gebruik'.
Leemweg 45 is een adres gelegen in de gemeente Barneveld, provincie Gelderland. Dit adres is geregistreerd in de Basisregistratie Adressen en Gebouwen (BAG) met als unieke identificatie 0203010000410920.
Het pand op Leemweg 45 is gebouwd in 1993, wat betekent dat het 33 jaar oud is. Dit is een pand van middelbare leeftijd. Het pand is van gemiddelde leeftijd en zal waarschijnlijk verouderde elementen bevatten.
De woning op Leemweg 45 heeft een gebruiksoppervlakte van 133 m². Dit is gemiddeld vergeleken met de gemiddelde Nederlandse woning, die een oppervlakte heeft van ongeveer 119 m². De gebruiksoppervlakte is de maat die wordt gebruikt in de BAG-registratie, de landelijke registratie van de Nederlandse overheid.
Leemweg 45 heeft als functie: wonen. Deze gebruiksfunctie(s) zijn vastgelegd in de BAG-registratie en geven aan waarvoor het adres officieel mag worden gebruikt.
Leemweg 45 is gelegen op kadastraal perceel VHZ02B852. Deze kadastrale aanduiding is uniek en wordt gebruikt door het Kadaster om eigendomsrechten en andere zakelijke rechten vast te leggen. Het perceel maakt onderdeel uit van de kadastrale gemeente Voorthuizen.
Het perceel waarop Leemweg 45 staat heeft een oppervlakte van 760 m². Dit is een groot perceel. De perceeloppervlakte wordt geregistreerd door het Kadaster. Gedetailleerde informatie over de maten van dit perceel kunt u vinden in het rapport Kadastrale kaart met maatvoering van Leemweg 45.
De eigenaar van Leemweg 45 is op te vragen op deze pagina.
De informatie over dit adres is afkomstig uit officiële overheidsregistraties, voornamelijk de Basisregistratie Adressen en Gebouwen (BAG) en de Basisregistratie Kadaster (BRK). Deze gegevens worden beheerd door respectievelijk gemeenten en het Kadaster, en worden regelmatig bijgewerkt. Energielabelgegevens komen uit de database van de Rijksdienst voor Ondernemend Nederland (RVO).
