
Baarlo 5-b is gelegen in de plaats Zwartsluis, de gemeente Zwartewaterland en de provincie Overijssel. Het verblijfsobject is 104 m² groot en bevindt zich op een perceel met een oppervlakte van 2410 m². Gemiddeld hebben adressen in Nederland een oppervlakte van 119 m². Het object is klein ten opzichte van de andere adressen in de straat. Het grootste verblijfsobject is 2712 m² groot en het kleinste is 93 m². Het adres Baarlo 5-b ligt in een relatief oud pand uit het jaar null. Panden van vóór het jaar 1965 hebben we hier geclassificeerd als oud. Het gemiddelde bouwjaar in de straat is 1957 en dat van het nieuwste object 2021. In de straat is dit het oudste pand. Voor het verblijfsobject gelden deze gebruiksdoelen: 'standplaats'.
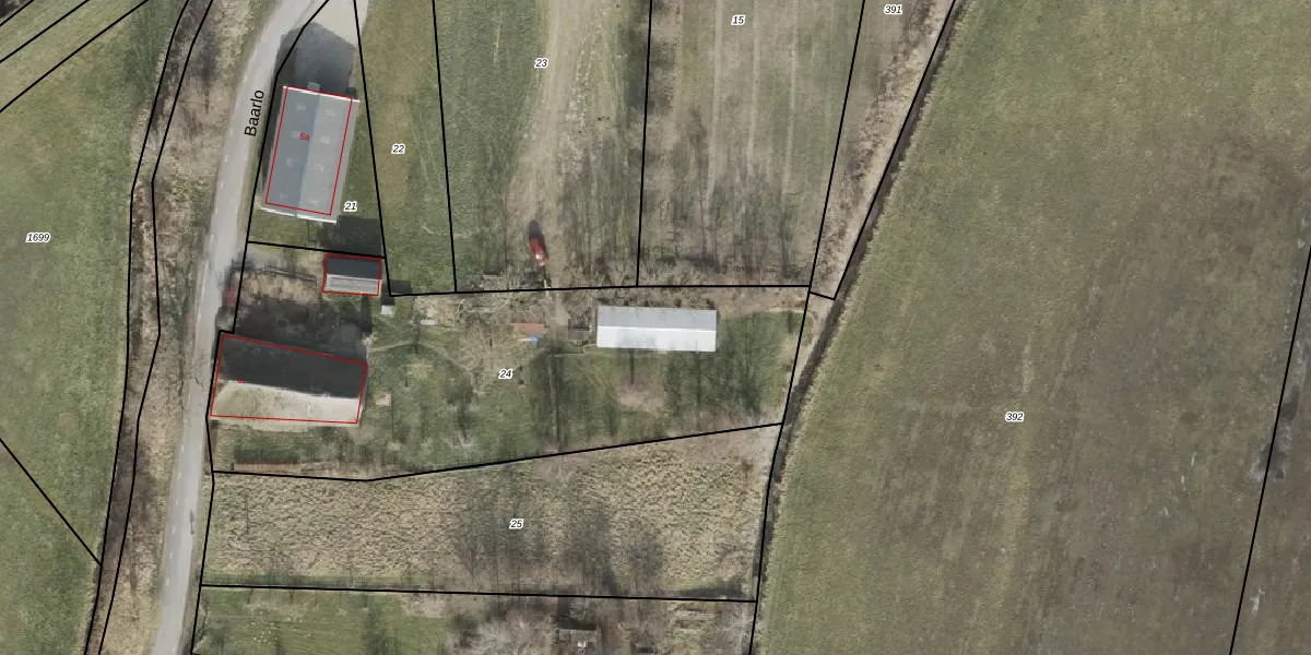
Het perceel waarop het adres ligt is ZSS00-F-24. De afkorting 'ZSS00' staat voor kadastrale gemeente Zwartsluis. De gemiddelde perceelgrootte in Zwartsluis is 5580,45 m². Dit perceel is kleiner: de perceeloppervlakte bedraagt 2410 m². De grootste perceeloppervlakte in de kadastrale gemeente is 47,2 ha. De kleinste oppervlakte bedraagt 0 m². Er zijn 2 adressen aanwezig op het perceel. De laatste wijziging in het de Basisregistratie Kadaster (BRK) was op 08-07-2021.
Er is geen energielabel geregistreerd voor het adres. Het hoogste energielabel in de straat is C; het laagste is G. Het gemiddelde energielabel is er E. Het adres Baarlo 5-b heeft als status: 'plaats aangewezen'. Het pand waarin dit adres ligt heeft als status: 'undefined'.
Baarlo 5-b is een adres gelegen in de gemeente Zwartewaterland, provincie Overijssel. Dit adres is geregistreerd in de Basisregistratie Adressen en Gebouwen (BAG) met als unieke identificatie 1896030000011168.
De woning op Baarlo 5-b heeft een gebruiksoppervlakte van 104 m². Dit is onder het gemiddelde vergeleken met de gemiddelde Nederlandse woning, die een oppervlakte heeft van ongeveer 119 m². De gebruiksoppervlakte is de maat die wordt gebruikt in de BAG-registratie, de landelijke registratie van de Nederlandse overheid.
Baarlo 5-b heeft als functie: standplaats. Deze gebruiksfunctie(s) zijn vastgelegd in de BAG-registratie en geven aan waarvoor het adres officieel mag worden gebruikt.
Baarlo 5-b is gelegen op kadastraal perceel ZSS00F24. Deze kadastrale aanduiding is uniek en wordt gebruikt door het Kadaster om eigendomsrechten en andere zakelijke rechten vast te leggen. Het perceel maakt onderdeel uit van de kadastrale gemeente Zwartsluis.
Het perceel waarop Baarlo 5-b staat heeft een oppervlakte van 2410 m². Dit is een zeer groot perceel. De perceeloppervlakte wordt geregistreerd door het Kadaster. Gedetailleerde informatie over de maten van dit perceel kunt u vinden in het rapport Kadastrale kaart met maatvoering van Baarlo 5-b.
De eigenaar van Baarlo 5-b is op te vragen op deze pagina.
De informatie over dit adres is afkomstig uit officiële overheidsregistraties, voornamelijk de Basisregistratie Adressen en Gebouwen (BAG) en de Basisregistratie Kadaster (BRK). Deze gegevens worden beheerd door respectievelijk gemeenten en het Kadaster, en worden regelmatig bijgewerkt. Energielabelgegevens komen uit de database van de Rijksdienst voor Ondernemend Nederland (RVO).
