
Wanningstraat 185 is gelegen in de plaats Zwolle, de gemeente Zwolle en de provincie Overijssel. De oppervlakte van het object bedraagt 92 m². Dat is klein vergeleken met het Nederlandse gemiddelde. Het perceel waarop het adres ligt is 2680 m² groot. Vergeleken met de andere verblijfsobjecten in de straat is dit object groot. De oppervlakte van het grootste object in de straat is 164 m², die van het kleinste bedraagt 17 m². In Nederland komt het grootste deel van de gebouwen uit de periode 1965-1984. Ook het bouwjaar van Wanningstraat 185 is afkomstig uit die periode: het betreft namelijk een pand uit 1966. In de straat komt het nieuwste gebouw uit het jaar 2005 en het oudste uit 1964. Het bouwjaar van dit object is relatief oud. Voor het verblijfsobject gelden deze gebruiksdoelen: 'woonfunctie'.
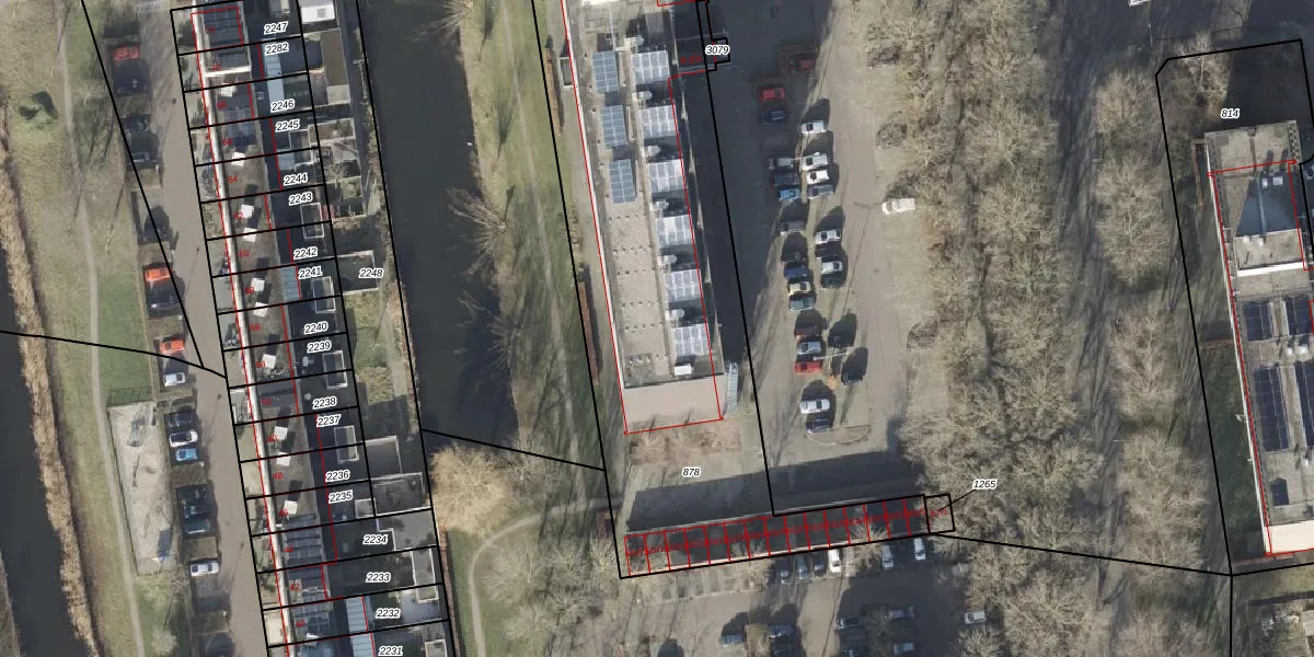
Het adres is gelegen op perceel 878 in de sectie H en de kadastrale gemeente Zwolle. De kadastrale aanduiding is aldus ZLE00-H-878. Het perceel is met 2680 m² relatief groot. Het gemiddelde ligt in de kadastrale gemeente Zwolle op 2098,45 m². Het grootste perceel in de kadastrale gemeente is 84,4 ha. Het kleinste perceel heeft een oppervlakte van 0 m². Op het perceel zijn 114 adressen aanwezig. De laatste wijziging in het de Basisregistratie Kadaster (BRK) was op 13-03-2014.
Het adres ligt in een gebouw van het type 'flatwoning (overig) met het subtype hoekdak'. Bij de laatste meting is voor het adres het energielabel B geregistreerd. Het hoogste energielabel in de straat is A+++; het laagste is G. Het gemiddelde energielabel is er B. Het adres Wanningstraat 185 heeft als status: 'verblijfsobject in gebruik'. Het pand waarin dit adres ligt heeft als status: 'pand in gebruik'.
Wanningstraat 185 is een adres gelegen in de gemeente Zwolle, provincie Overijssel. Dit adres is geregistreerd in de Basisregistratie Adressen en Gebouwen (BAG) met als unieke identificatie 0193010000026324.
Het pand op Wanningstraat 185 is gebouwd in 1966, wat betekent dat het 60 jaar oud is. Dit is een ouder pand. Het pand heeft mogelijk aanzienlijke renovaties nodig om aan de huidige standaarden te voldoen.
De woning op Wanningstraat 185 heeft een gebruiksoppervlakte van 92 m². Dit is onder het gemiddelde vergeleken met de gemiddelde Nederlandse woning, die een oppervlakte heeft van ongeveer 119 m². De gebruiksoppervlakte is de maat die wordt gebruikt in de BAG-registratie, de landelijke registratie van de Nederlandse overheid.
Wanningstraat 185 heeft als functie: wonen. Deze gebruiksfunctie(s) zijn vastgelegd in de BAG-registratie en geven aan waarvoor het adres officieel mag worden gebruikt.
Wanningstraat 185 is gelegen op kadastraal perceel ZLE00H878. Deze kadastrale aanduiding is uniek en wordt gebruikt door het Kadaster om eigendomsrechten en andere zakelijke rechten vast te leggen. Het perceel maakt onderdeel uit van de kadastrale gemeente Zwolle.
Het perceel waarop Wanningstraat 185 staat heeft een oppervlakte van 2680 m². Dit is een zeer groot perceel. De perceeloppervlakte wordt geregistreerd door het Kadaster. Gedetailleerde informatie over de maten van dit perceel kunt u vinden in het rapport Kadastrale kaart met maatvoering van Wanningstraat 185.
De eigenaar van Wanningstraat 185 is op te vragen op deze pagina.
De informatie over dit adres is afkomstig uit officiële overheidsregistraties, voornamelijk de Basisregistratie Adressen en Gebouwen (BAG) en de Basisregistratie Kadaster (BRK). Deze gegevens worden beheerd door respectievelijk gemeenten en het Kadaster, en worden regelmatig bijgewerkt. Energielabelgegevens komen uit de database van de Rijksdienst voor Ondernemend Nederland (RVO).
