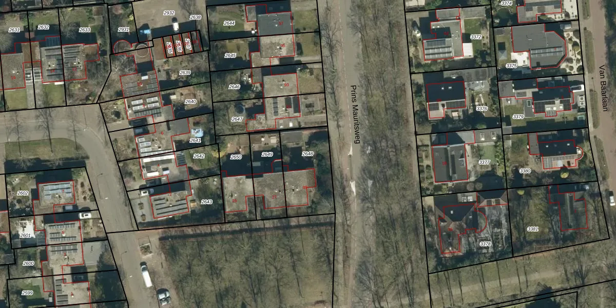
Perceel: AAL01-A-2648
KadastraleKaart.com kan meer dan je denktOntdek meer ›
Filter op bestemming 50+ datasets Eigendomsdata in één klik Percelen CRM
445 m2 - 88 m
Eigenaar opvragen
AAL01-A-2648 (Aalst Noord-Brabant)
- 5583 CR
MFajIdOo1YKFtl3mw xj5Byv9zAVUpgrade naar KadastraleKaart Pro
Bekijk op Street View
Download DWG/DXF/Excel
OKDfu 9jjzcyUpgrade naar KadastraleKaart Pro
eJmBbXP4pxQU4vzl7Upgrade naar KadastraleKaart Pro
2PRrj7lJ VXfJb 2Ol Upgrade naar KadastraleKaart Pro
nuz hrbZd2bHkUpgrade naar KadastraleKaart Pro
oFpKgf3i2R8Upgrade naar KadastraleKaart Pro
JAY MdfDUpgrade naar KadastraleKaart Pro
aZzx qVSlKuyb XC EeUpgrade naar KadastraleKaart Pro
g4d3HaRPqz3G9LBLDVjM88Upgrade naar KadastraleKaart Pro
g6 Su mYXh5EUpgrade naar KadastraleKaart Pro
eibiCZgYUpgrade naar KadastraleKaart Pro
16/03/2009

Percelen
Gebruik de zoekbalk of klik op een perceel om informatie over het perceel te bekijken.