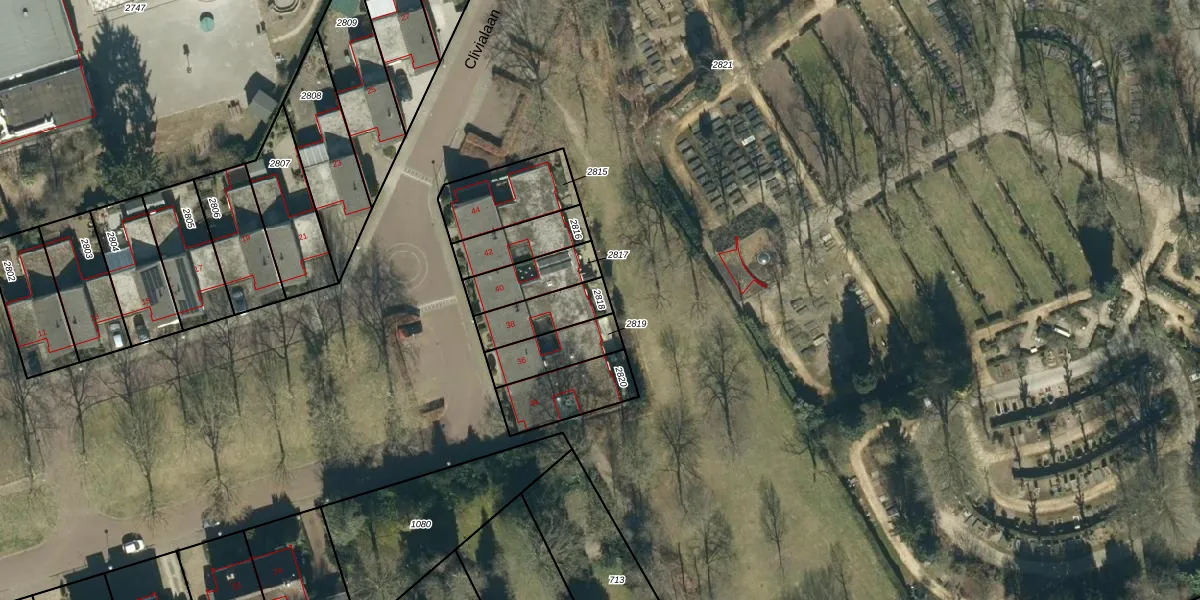
Perceel: AAL01-E-2818
KadastraleKaart.com kan meer dan je denktOntdek meer ›
Filter op bestemming 50+ datasets Eigendomsdata in één klik Percelen CRM
141 m2 - 58 m
Eigenaar opvragen
AAL01-E-2818 (Aalst Noord-Brabant)
- 5582 GA
m0aaY94a 7tF1rz jVkUpgrade naar KadastraleKaart Pro
Bekijk op Street View
Download DWG/DXF/Excel
2vszwjMSPbZR2ZsanUpgrade naar KadastraleKaart Pro
udmR6w2AMJuoUpgrade naar KadastraleKaart Pro
fwkwJs3W 4l638BsRjt rkUpgrade naar KadastraleKaart Pro
eO Wd4qRUpgrade naar KadastraleKaart Pro
XcW JHhbLFOk3ak4DyfUpgrade naar KadastraleKaart Pro
vwl4GjvA1Upgrade naar KadastraleKaart Pro
txcOAdx5P8U1JT6Gu J4Upgrade naar KadastraleKaart Pro
SCX3mTmTUpgrade naar KadastraleKaart Pro
LokKiKQIZ0Y4MUpgrade naar KadastraleKaart Pro
9aSV8t5 C8eitv89uUpgrade naar KadastraleKaart Pro
27/03/2009

Percelen
Gebruik de zoekbalk of klik op een perceel om informatie over het perceel te bekijken.