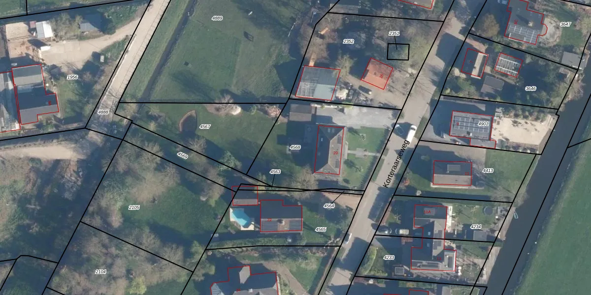
Perceel: AAR00-B-4568
KadastraleKaart.com kan meer dan je denktOntdek meer ›
Filter op bestemming 50+ datasets Eigendomsdata in één klik Percelen CRM
1.146 m2 - 139 m
Eigenaar opvragen
AAR00-B-4568 (Ter Aar)
- 2461 GL
1Wza1NAXiDBrgFiQScjMGGUpgrade naar KadastraleKaart Pro
Verkoopprijs opvragen
Bekijk op Street View
Download DWG/DXF/Excel
7lGG 9WYUpgrade naar KadastraleKaart Pro
hJ8i3zqNIbDtlVD4Sbu1l Upgrade naar KadastraleKaart Pro
IK AKkc tpArVfUpgrade naar KadastraleKaart Pro
Ek9QrmfIQTPJj h2QUpgrade naar KadastraleKaart Pro
9aTTw3DmxEUpgrade naar KadastraleKaart Pro
tvl j2ghqa1UVUpgrade naar KadastraleKaart Pro
6SQzRRd00RKef3nyRhClUpgrade naar KadastraleKaart Pro
JFST g4D1keG26pHUpgrade naar KadastraleKaart Pro
nufQzFf G tFMS rWUpgrade naar KadastraleKaart Pro
2XW0oCkGOTiGAwwqJdNQUpgrade naar KadastraleKaart Pro
05/07/2005

Percelen
Gebruik de zoekbalk of klik op een perceel om informatie over het perceel te bekijken.