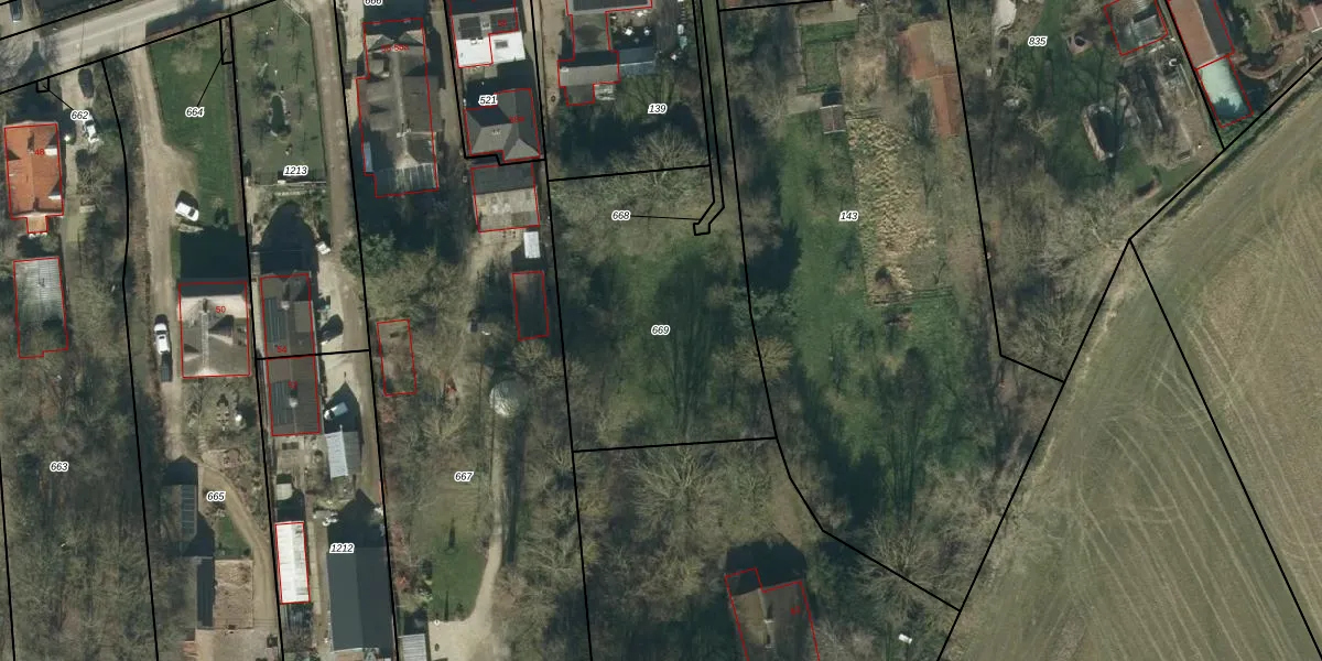
Perceel: ABG00-A-669
KadastraleKaart.com kan meer dan je denktOntdek meer ›
Filter op bestemming 50+ datasets Eigendomsdata in één klik Percelen CRM
Geen adressen bij dit perceel
1.315 m2 - 253 m
Eigenaar opvragen
ABG00-A-669 (Aalburg)
- Geen postcode aanwezig
8 JVcczY7rVCtvgzMheUpgrade naar KadastraleKaart Pro
Bekijk op Street View
Download DWG/DXF/Excel
2lWMokeM5 9 FRGF nUpgrade naar KadastraleKaart Pro
su qxLl59Gas AAGUpgrade naar KadastraleKaart Pro
x7gt3qcWD3WJDgJ2JTPBSUpgrade naar KadastraleKaart Pro
H8Z HR4RP5djSjUpgrade naar KadastraleKaart Pro
aYy1MoO0MKxfN2uUpgrade naar KadastraleKaart Pro
JGjre aNft7iQ3 UugXzH1nUpgrade naar KadastraleKaart Pro
8 oEqFCh4RKZEE BnMUpgrade naar KadastraleKaart Pro
G7z22GAZRUpgrade naar KadastraleKaart Pro
c9xpZe xXadUpgrade naar KadastraleKaart Pro
vvOXQjUODXqAlkYACbEs DUpgrade naar KadastraleKaart Pro
26/03/2012

Percelen
Gebruik de zoekbalk of klik op een perceel om informatie over het perceel te bekijken.