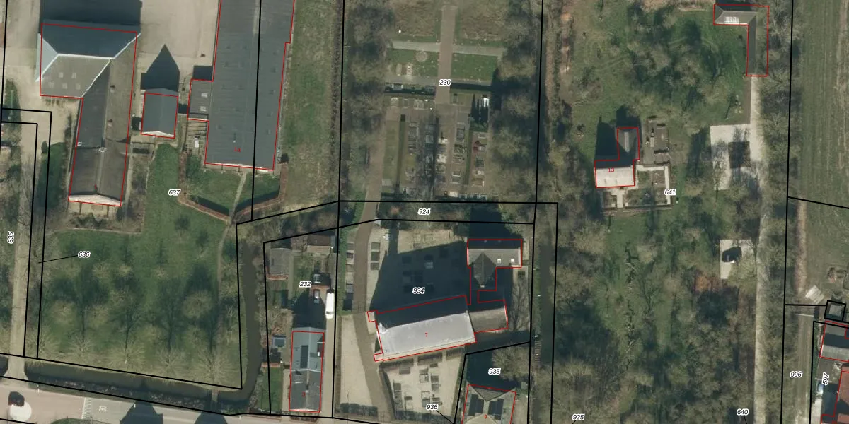
Perceel: ABG00-A-924
KadastraleKaart.com kan meer dan je denktOntdek meer ›
Filter op bestemming 50+ datasets Eigendomsdata in één klik Percelen CRM
Geen adressen bij dit perceel
220 m2 - 104 m
Eigenaar opvragen
ABG00-A-924 (Aalburg)
- Geen postcode aanwezig
LOlm97CJV550g 7yhzimnBf PXJ95kUpgrade naar KadastraleKaart Pro
Bekijk op Street View
Download DWG/DXF/Excel
ah5Tqp0yIwx6 GZGJuam Upgrade naar KadastraleKaart Pro
1f r07q1Upgrade naar KadastraleKaart Pro
XkiN U2mpnlsdVUpgrade naar KadastraleKaart Pro
XraIwedl6lymjxFWtHUpgrade naar KadastraleKaart Pro
1T gtnmRM7P6EUpgrade naar KadastraleKaart Pro
CCaPFlac2K2sUpgrade naar KadastraleKaart Pro
qUWoq8JUUpgrade naar KadastraleKaart Pro
oIij4p hrwaqTUpgrade naar KadastraleKaart Pro
roL17bqk ZX u8XmM5GS obUpgrade naar KadastraleKaart Pro
ySa4fiDvbXV7HSMGDiwUpgrade naar KadastraleKaart Pro
20/09/2005

Percelen
Gebruik de zoekbalk of klik op een perceel om informatie over het perceel te bekijken.