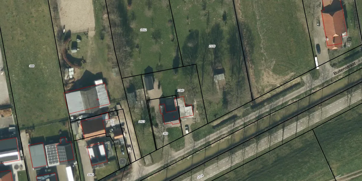
Perceel: ABG00-D-2340
Geen adressen bij dit perceel
770 m2 - 190 m
Eigenaar opvragen
ABG00-D-2340 (Aalburg)
- Geen postcode aanwezig
WV5Glpwuzd5L2CV SeptUpgrade naar KadastraleKaart Pro
Bekijk op Street View
Download DWG/DXF/Excel
2 lw2LKCKbhUpgrade naar KadastraleKaart Pro
DCjeEEVJUpgrade naar KadastraleKaart Pro
YGUGa0vc9u1iVTSGdUpgrade naar KadastraleKaart Pro
z9iH jGvOWd Upgrade naar KadastraleKaart Pro
q8sL9i4pKqaww3ehUpgrade naar KadastraleKaart Pro
OkeyyDmWea9V1v7UNopUpgrade naar KadastraleKaart Pro
Cqr08sJEzWa OQzFDUpgrade naar KadastraleKaart Pro
heUjmxEdt 0AKwUpgrade naar KadastraleKaart Pro
gUjFe4N WrdSl5 1Upgrade naar KadastraleKaart Pro
5Pr60YYDxU2j4PfP nbeUpgrade naar KadastraleKaart Pro
01/05/2019

Percelen
Gebruik de zoekbalk of klik op een perceel om informatie over het perceel te bekijken.