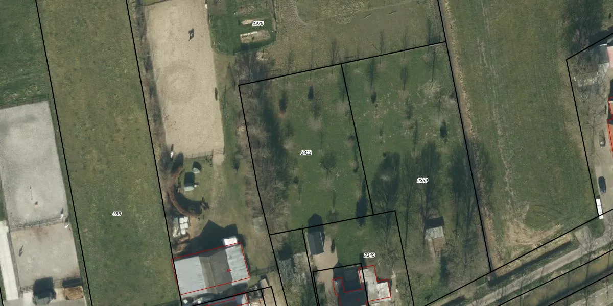
Perceel: ABG00-D-2412
Geen adressen bij dit perceel
1.742 m2 - 169 m
Eigenaar opvragen
ABG00-D-2412 (Aalburg)
- Geen postcode aanwezig
b p4rU1Fq3R0e CYyONiMOUpgrade naar KadastraleKaart Pro
Bekijk op Street View
Download DWG/DXF/Excel
NbibLi P8Upgrade naar KadastraleKaart Pro
alGuEbXFw fv3 zjjUpgrade naar KadastraleKaart Pro
ptgdqq 3BldUpgrade naar KadastraleKaart Pro
Uzt1I6FdsGQ7 uJUpgrade naar KadastraleKaart Pro
VGPjAgZNUpgrade naar KadastraleKaart Pro
wMczmb 9qBZ rWehUpgrade naar KadastraleKaart Pro
rau bizVNjtPvSCUpgrade naar KadastraleKaart Pro
VSoSFMHcRDgIBscUpgrade naar KadastraleKaart Pro
d CC0t3eyUG q61lzUpgrade naar KadastraleKaart Pro
OS tcHo VUpgrade naar KadastraleKaart Pro
05/11/2021

Percelen
Gebruik de zoekbalk of klik op een perceel om informatie over het perceel te bekijken.