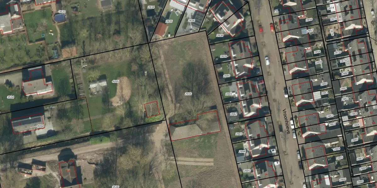
Perceel: ABG00-F-2656
KadastraleKaart.com kan meer dan je denktOntdek meer ›
Filter op bestemming 50+ datasets Eigendomsdata in één klik Percelen CRM
Geen adressen bij dit perceel
3.000 m2 - 254 m
Eigenaar opvragen
ABG00-F-2656 (Aalburg)
- Geen postcode aanwezig
C60j7jUOe7V KTYqBNiIordOUpgrade naar KadastraleKaart Pro
Bekijk op Street View
Download DWG/DXF/Excel
TiZ7NqvvUzRD0gUpgrade naar KadastraleKaart Pro
p3Qzn3ay12H0IF xUpgrade naar KadastraleKaart Pro
nYXxVuvJMiVoM6Upgrade naar KadastraleKaart Pro
PNimPNQuzIwJ1fgxASUpgrade naar KadastraleKaart Pro
rDahT3A2CgkTBPp 1XaDdUpgrade naar KadastraleKaart Pro
j5JRiUfpz DksX7Upgrade naar KadastraleKaart Pro
ploh6OlfNUpgrade naar KadastraleKaart Pro
YViB5EofrTUpgrade naar KadastraleKaart Pro
VzFyAKy77uIUpgrade naar KadastraleKaart Pro
VcgGp1OSFUpgrade naar KadastraleKaart Pro
10/02/2006

Percelen
Gebruik de zoekbalk of klik op een perceel om informatie over het perceel te bekijken.