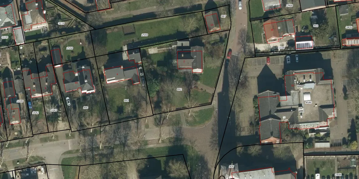
Perceel: ABG00-F-892
KadastraleKaart.com kan meer dan je denktOntdek meer ›
Filter op bestemming 50+ datasets Eigendomsdata in één klik Percelen CRM
1.625 m2 - 165 m
Eigenaar opvragen
ABG00-F-892 (Aalburg)
- 4261 BX
aalTD9 Z gUssDsA6wM i JXTUpgrade naar KadastraleKaart Pro
Bekijk op Street View
Download DWG/DXF/Excel
d5kkZNQZTbM5Utssjhl8tQtUpgrade naar KadastraleKaart Pro
OyAFHgq3v btIdtdiP1Upgrade naar KadastraleKaart Pro
QuuXdosyDqGclYHNUpgrade naar KadastraleKaart Pro
XJCDi 6s6tUpgrade naar KadastraleKaart Pro
2egnBLy HSUpgrade naar KadastraleKaart Pro
gi6fZ2FxRLJw9cYervhduUpgrade naar KadastraleKaart Pro
itCf54A BzjcUpgrade naar KadastraleKaart Pro
XpVhBg6 EuUpgrade naar KadastraleKaart Pro
aNFS6Q1GLzvUpgrade naar KadastraleKaart Pro
xcXw ArJxeUpgrade naar KadastraleKaart Pro
10/05/2012

Percelen
Gebruik de zoekbalk of klik op een perceel om informatie over het perceel te bekijken.