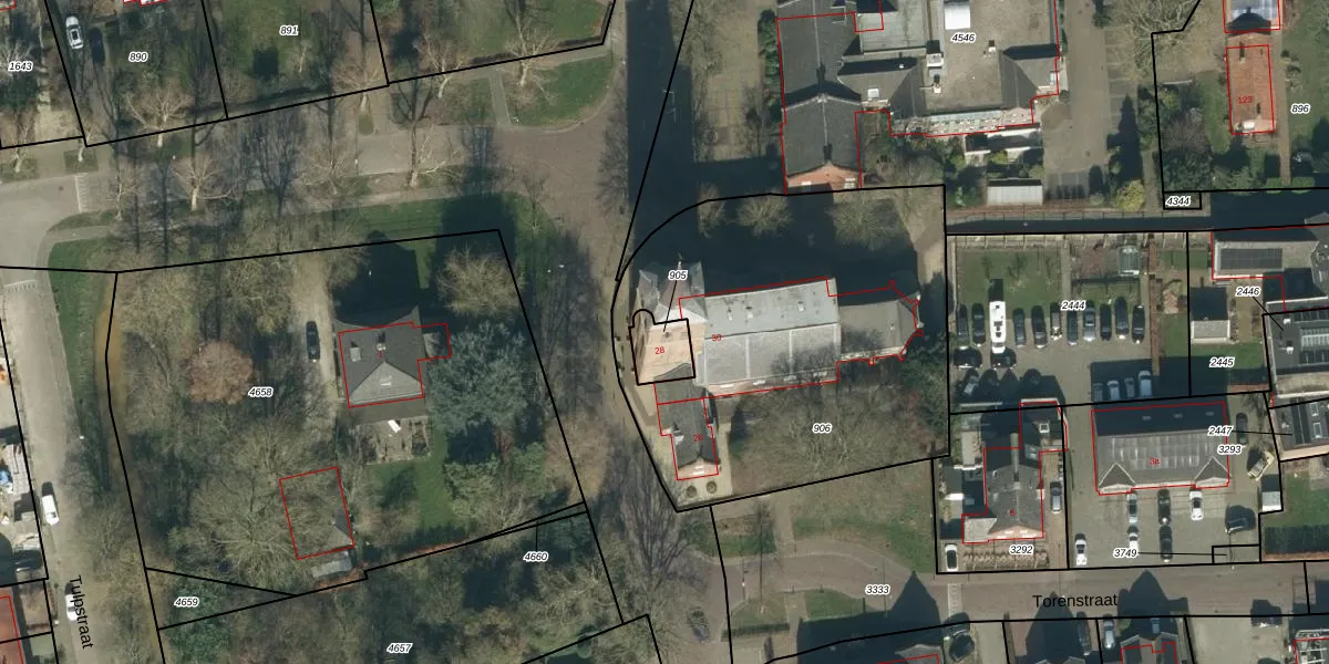
Perceel: ABG00-F-905
KadastraleKaart.com kan meer dan je denktOntdek meer ›
Filter op bestemming 50+ datasets Eigendomsdata in één klik Percelen CRM
78 m2 - 38 m
Eigenaar opvragen
ABG00-F-905 (Aalburg)
- 4261 BE
dwFQbpHMG7 tbOjUO Upgrade naar KadastraleKaart Pro
Bekijk op Street View
Download DWG/DXF/Excel
RQt3Lm6v wXsIWCXvI2Upgrade naar KadastraleKaart Pro
0 vkbqv Z FUmLszUpgrade naar KadastraleKaart Pro
voIKadi2zhzhlODhWzsUpgrade naar KadastraleKaart Pro
1M dVG P0 9TzDQDRDNdTu3Upgrade naar KadastraleKaart Pro
C4 Q0OS2rBZQwd3F GXCUpgrade naar KadastraleKaart Pro
vwRuC 6 4t4YUpgrade naar KadastraleKaart Pro
2s 6AN8QFWpC QhCOsHOXPUpgrade naar KadastraleKaart Pro
JG N0 u0F5S0qk 6ZLbBwUpgrade naar KadastraleKaart Pro
vSLaJwgHOj pR4M HvQnKjQUpgrade naar KadastraleKaart Pro
yD avwSVwX4widarUpgrade naar KadastraleKaart Pro
10/02/2006

Percelen
Gebruik de zoekbalk of klik op een perceel om informatie over het perceel te bekijken.