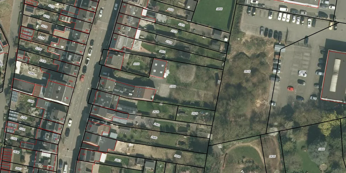
Perceel: ABY00-B-1559
KadastraleKaart.com kan meer dan je denktOntdek meer ›
Filter op bestemming 50+ datasets Eigendomsdata in één klik Percelen CRM
1.396 m2 - 190 m
Eigenaar opvragen
ABY00-B-1559 (Amby)
- 6226 AX
7S6jdUyXyTp6vwP3AuA7aUpgrade naar KadastraleKaart Pro
Verkoopprijs opvragen
Bekijk op Street View
Download DWG/DXF/Excel
F8NVkSxWV6Upgrade naar KadastraleKaart Pro
YILU xTa A3KMg5wUpgrade naar KadastraleKaart Pro
Df3h4W Mpft i0pUpgrade naar KadastraleKaart Pro
ekILKX1oLT7ws4Upgrade naar KadastraleKaart Pro
THBsigBYu aUpgrade naar KadastraleKaart Pro
3gG U49MEY KTyEUpgrade naar KadastraleKaart Pro
9ys2GTA9QnJ4taA vOK6bUpgrade naar KadastraleKaart Pro
2BGJxVTLbUpgrade naar KadastraleKaart Pro
ZvAsM2vW1SYbVN1T xi4Upgrade naar KadastraleKaart Pro
nGB19bAb8qFKD0a6uQm8Upgrade naar KadastraleKaart Pro
18/05/2009

Percelen
Gebruik de zoekbalk of klik op een perceel om informatie over het perceel te bekijken.