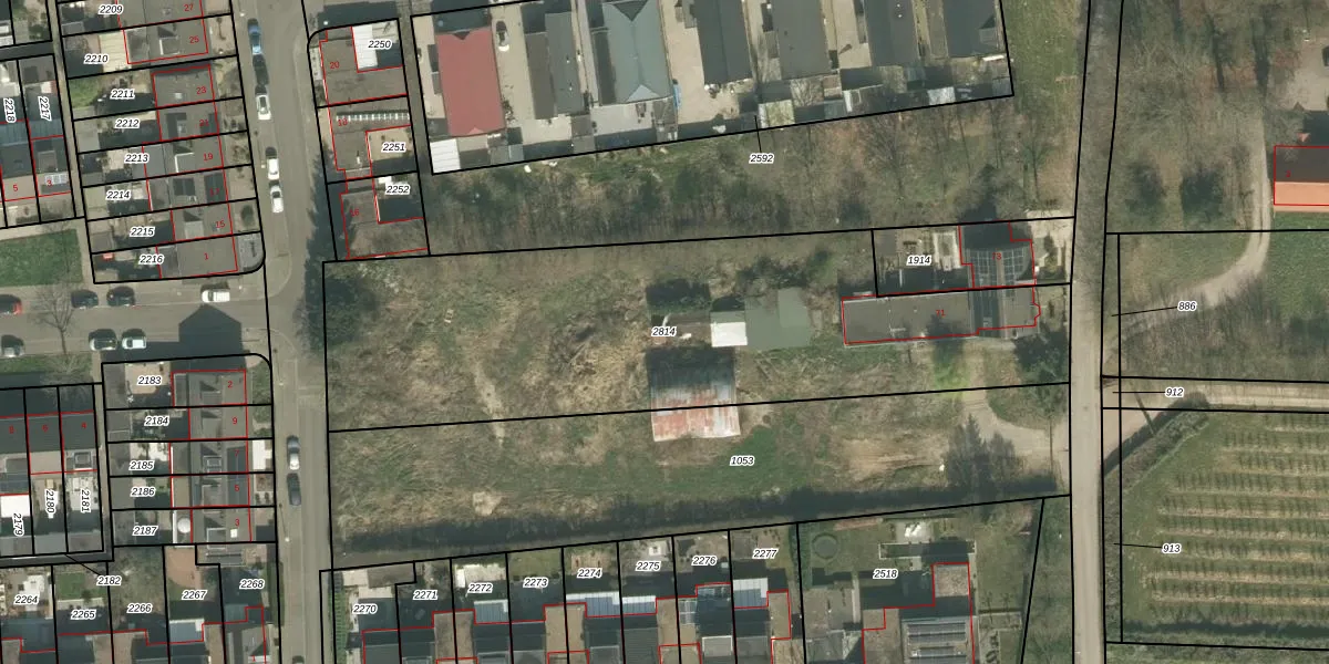
Perceel: ABY00-B-2814
KadastraleKaart.com kan meer dan je denktOntdek meer ›
Filter op bestemming 50+ datasets Eigendomsdata in één klik Percelen CRM
2.506 m2 - 275 m
Eigenaar opvragen
ABY00-B-2814 (Amby)
- 6225 NB
b m8N6 TBRGa0Wn4vBs6IM qM8bUpgrade naar KadastraleKaart Pro
Verkoopprijs opvragen
Bekijk op Street View
Download DWG/DXF/Excel
ymbLc1EOC5Upgrade naar KadastraleKaart Pro
Y8uPi om2xVFdUpgrade naar KadastraleKaart Pro
z6HX3DkZHgizr Upgrade naar KadastraleKaart Pro
z1wk7 G8KgFR993Upgrade naar KadastraleKaart Pro
Vdw6A bMK5ai CXcAeGUpgrade naar KadastraleKaart Pro
MjbFKfi3GcA5wPVeU1Upgrade naar KadastraleKaart Pro
Y2 3ID YlqKLyPUpgrade naar KadastraleKaart Pro
shjIruL 1uOcG0Upgrade naar KadastraleKaart Pro
OR4vO u in6PABsfwUpgrade naar KadastraleKaart Pro
R8OteyztT2 QLKAQUpgrade naar KadastraleKaart Pro
05/12/2024

Percelen
Gebruik de zoekbalk of klik op een perceel om informatie over het perceel te bekijken.