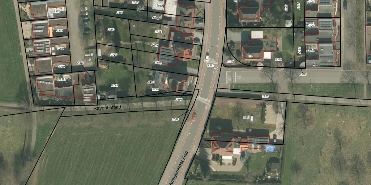
Perceel: ABY00-C-2394
KadastraleKaart.com kan meer dan je denktOntdek meer ›
Filter op bestemming 50+ datasets Eigendomsdata in één klik Percelen CRM
Geen adressen bij dit perceel
13 m2 - 24 m
Eigenaar opvragen
ABY00-C-2394 (Amby)
- Geen postcode aanwezig
7cudQX0xCArR qFci olOUpgrade naar KadastraleKaart Pro
Bekijk op Street View
Download DWG/DXF/Excel
Pb7s8NcDF76ss 7Rg W I HUpgrade naar KadastraleKaart Pro
AblXxCEIxMoKTjoiUpgrade naar KadastraleKaart Pro
U d5yHsGHJfM280OagUpgrade naar KadastraleKaart Pro
sIaVZvLOyUpgrade naar KadastraleKaart Pro
J0MVzjueXgUzuPGMSvvUpgrade naar KadastraleKaart Pro
rPyHwY MKXdDUpgrade naar KadastraleKaart Pro
xgrJii yUpgrade naar KadastraleKaart Pro
1hm2 d3L7Upgrade naar KadastraleKaart Pro
3VVXW3XXKV23ORn 1ZTZaUpgrade naar KadastraleKaart Pro
rCk ZSRvQPj2vlfThn bOUpgrade naar KadastraleKaart Pro
28/09/2005

Percelen
Gebruik de zoekbalk of klik op een perceel om informatie over het perceel te bekijken.