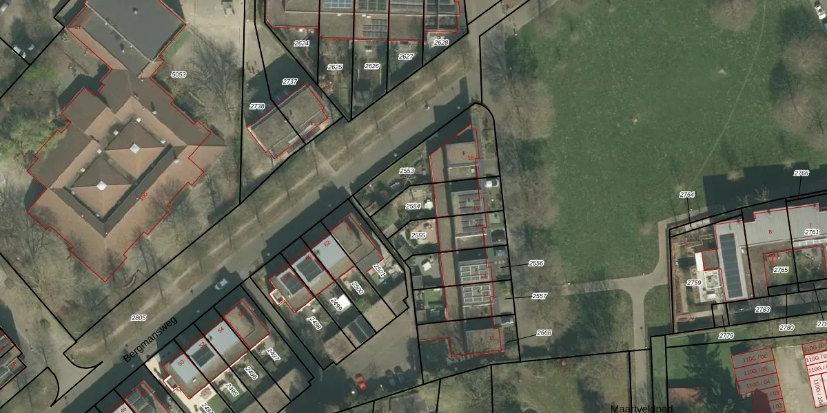
Perceel: ABY00-C-2554
KadastraleKaart.com kan meer dan je denktOntdek meer ›
Filter op bestemming 50+ datasets Eigendomsdata in één klik Percelen CRM
253 m2 - 79 m
Eigenaar opvragen
ABY00-C-2554 (Amby)
- 6226 DA
UwMnk1eJOaWliXy8 uqxD4 Upgrade naar KadastraleKaart Pro
Verkoopprijs opvragen
Bekijk op Street View
Download DWG/DXF/Excel
OLez9qX4Upgrade naar KadastraleKaart Pro
T 4oVYMZtMHauXFOu76WD2Upgrade naar KadastraleKaart Pro
y ju 4aSx jUpgrade naar KadastraleKaart Pro
cGEWby 9aSz2fUpgrade naar KadastraleKaart Pro
YXPkfQlx6ihQUpgrade naar KadastraleKaart Pro
Y 3JborCj8CsCUpgrade naar KadastraleKaart Pro
p 0 fgCfPxCst5AV1h94Ax7Upgrade naar KadastraleKaart Pro
y5SaLEeq3ITmdbPTgJ 9w Upgrade naar KadastraleKaart Pro
cxkpigQSkr iUp wFUpgrade naar KadastraleKaart Pro
Goz097 hVLHNUpgrade naar KadastraleKaart Pro
19/07/2010

Percelen
Gebruik de zoekbalk of klik op een perceel om informatie over het perceel te bekijken.