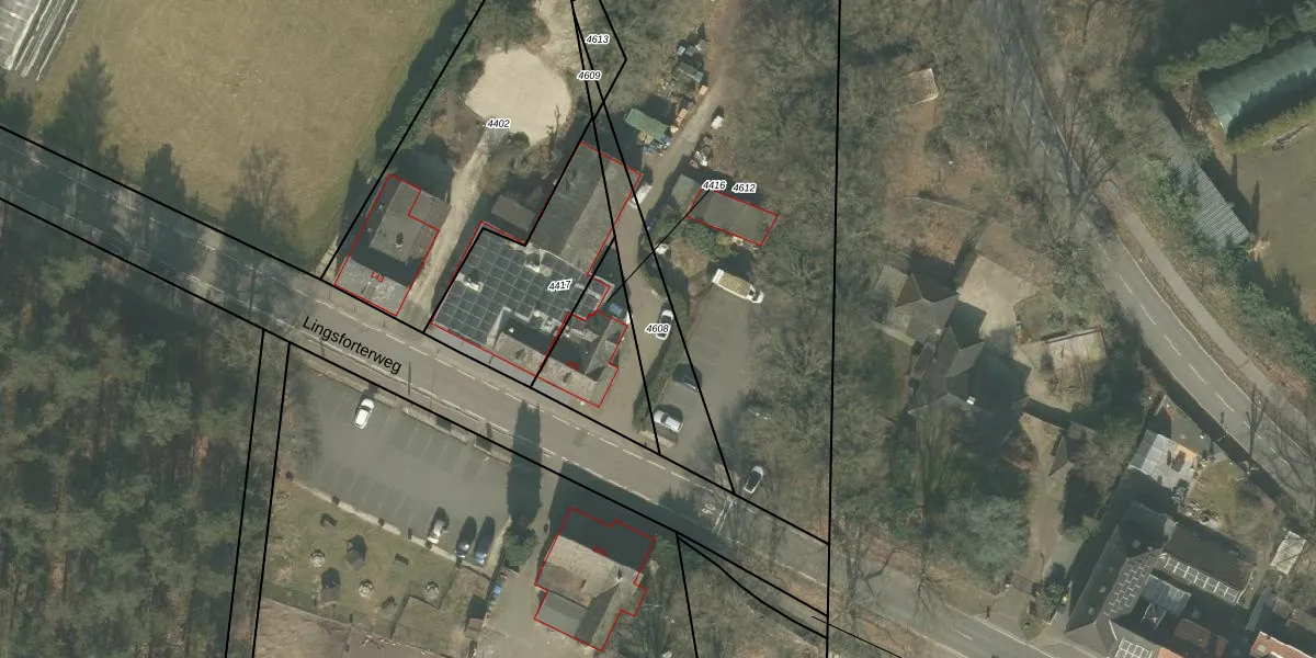
Perceel: ACN00-B-4608
KadastraleKaart.com kan meer dan je denktOntdek meer ›
Filter op bestemming 50+ datasets Eigendomsdata in één klik Percelen CRM
Geen adressen bij dit perceel
340 m2 - 131 m
Eigenaar opvragen
ACN00-B-4608 (Arcen en Velden)
- Geen postcode aanwezig
bMZED md 0fpOm40RS2GRrRgewkUpgrade naar KadastraleKaart Pro
Bekijk op Street View
Download DWG/DXF/Excel
f6fsa9hIX1o3jrI5jBFxUpgrade naar KadastraleKaart Pro
ddkWqOTyE3XL5qvPIo Upgrade naar KadastraleKaart Pro
lVyQPCl6z6OvCQZx HUpgrade naar KadastraleKaart Pro
lcCf 8Yr1zYpkOtKVvh NUpgrade naar KadastraleKaart Pro
a3etRcf1bDlRwkbPMeSzOWTUpgrade naar KadastraleKaart Pro
EmR PMveVs tquUpgrade naar KadastraleKaart Pro
qj HfE1XpNYZcnBIwDZ Upgrade naar KadastraleKaart Pro
SL2DkObs8wUpgrade naar KadastraleKaart Pro
4RsrezFWLUpgrade naar KadastraleKaart Pro
K6W ckzc8 odUpgrade naar KadastraleKaart Pro
22/02/2016

Percelen
Gebruik de zoekbalk of klik op een perceel om informatie over het perceel te bekijken.