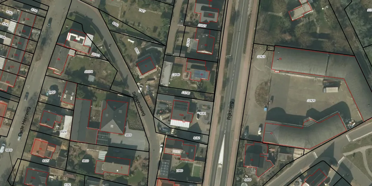
Perceel: ACN00-C-11735
Geen adressen bij dit perceel
93 m2 - 69 m
Eigenaar opvragen
ACN00-C-11735 (Arcen en Velden)
- Geen postcode aanwezig
An0CF50pNQ3ZfYT dlRnZH BkJgLvUpgrade naar KadastraleKaart Pro
Bekijk op Street View
Download DWG/DXF/Excel
MHTEt99XaBV1cLUpgrade naar KadastraleKaart Pro
Xzb5y3umnIKTiu0LuV6AgD2Upgrade naar KadastraleKaart Pro
PP6NTUDhAq8ydzUpgrade naar KadastraleKaart Pro
iUZP QBuzT Qx19aFlN0vqVUpgrade naar KadastraleKaart Pro
gRQfhd GyZUpgrade naar KadastraleKaart Pro
BAD4yjlYssVZi70 MkUpgrade naar KadastraleKaart Pro
D0d vA6fVwb0Upgrade naar KadastraleKaart Pro
8eBrH3 9L1ZE 1NjLJUpgrade naar KadastraleKaart Pro
UgtaN1AjnUpgrade naar KadastraleKaart Pro
rHB7IBlpmsm hHVUpgrade naar KadastraleKaart Pro
06/05/2008

Percelen
Gebruik de zoekbalk of klik op een perceel om informatie over het perceel te bekijken.