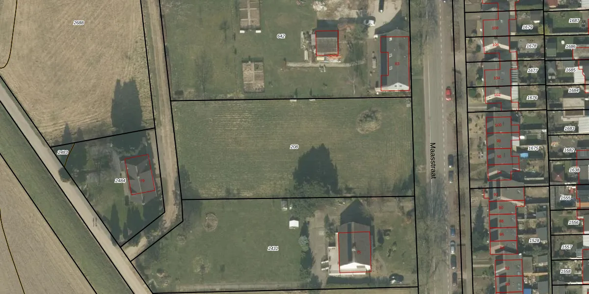
Perceel: ACN00-D-208

Adres bij perceel

Geen adressen bij dit perceel

Perceeloppervlakte & perceelomtrek

2.725 m2 - 229 m

Eigenaar van het perceel

Eigenaar opvragen

Kadastrale aanduiding

ACN00-D-208 (Arcen en Velden)

Postcode in perceel

    Geen postcode aanwezig

Type eigenaar

ocB8p i7bNnIxTlDoJaulqcoWC fdWuUpgrade naar KadastraleKaart Pro

Google Street View

Bekijk op Street View

Download

Download DWG/DXF/Excel

Gerelateerde percelen

3vy81 g wUpgrade naar KadastraleKaart Pro

Bebouwd/onbebouwd/water/groen

1oJ0IVZFDA bGcg8aWiwX5pUpgrade naar KadastraleKaart Pro
Administratieve eenheden
rKNdWPXN3Rcb f5NTsnOb4pUpgrade naar KadastraleKaart Pro

Appartementsrechten

procsrYkVb DLDftiX WUpgrade naar KadastraleKaart Pro

Vergunningverlenende instanties

McwRQwrnMkUpgrade naar KadastraleKaart Pro

Bedekking (BGT)

FYFXYdzq1Upgrade naar KadastraleKaart Pro

Publiekrechtelijke beperkingen

1F h MKn0 Upgrade naar KadastraleKaart Pro

Grensnauwkeurigheid

fB6llvFCU5Ki9ZAUpgrade naar KadastraleKaart Pro

Coördinaten hoekpunten perceel

qdGIZAPuUpgrade naar KadastraleKaart Pro

Hoogteligging

xGxX q3SUpgrade naar KadastraleKaart Pro

Laatst gewijzigd

02/06/2006

Kadastrale kaart met maatvoering 59,95
Kadastrale kaart pakket 28,95

Percelen

Gebruik de zoekbalk of klik op een perceel om informatie over het perceel te bekijken.
Locatie
Meten
Lagen
Download