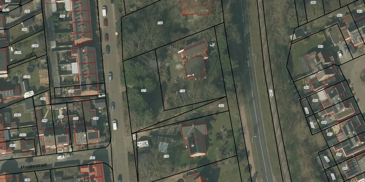
Perceel: ACN00-E-176
KadastraleKaart.com kan meer dan je denktOntdek meer ›
Filter op bestemming 50+ datasets Eigendomsdata in één klik Percelen CRM
1.280 m2 - 143 m
Eigenaar opvragen
ACN00-E-176 (Arcen en Velden)
- 5941 AJ
hsOo0M89UAZgAPv97rvArfuffUpgrade naar KadastraleKaart Pro
Verkoopprijs opvragen
Bekijk op Street View
Download DWG/DXF/Excel
kI1QWLCvk3lhuYJZ04a4Upgrade naar KadastraleKaart Pro
e6E 5H3ePmy9pGRUpgrade naar KadastraleKaart Pro
uTX tzQBBsiop w ud8cQKvUpgrade naar KadastraleKaart Pro
99uM82gWt F rrILIG uUpgrade naar KadastraleKaart Pro
7 M5nLcrD2MjiCEoUpgrade naar KadastraleKaart Pro
Gcs2ZWKpEirkod5feYQUpgrade naar KadastraleKaart Pro
FuHgQl7Vc7ynmxm7amrUpgrade naar KadastraleKaart Pro
1oayVOf Upgrade naar KadastraleKaart Pro
pO L A8aOti 4Yy9rOUpgrade naar KadastraleKaart Pro
TR8iNHkVTTUpgrade naar KadastraleKaart Pro
09/06/2006

Percelen
Gebruik de zoekbalk of klik op een perceel om informatie over het perceel te bekijken.