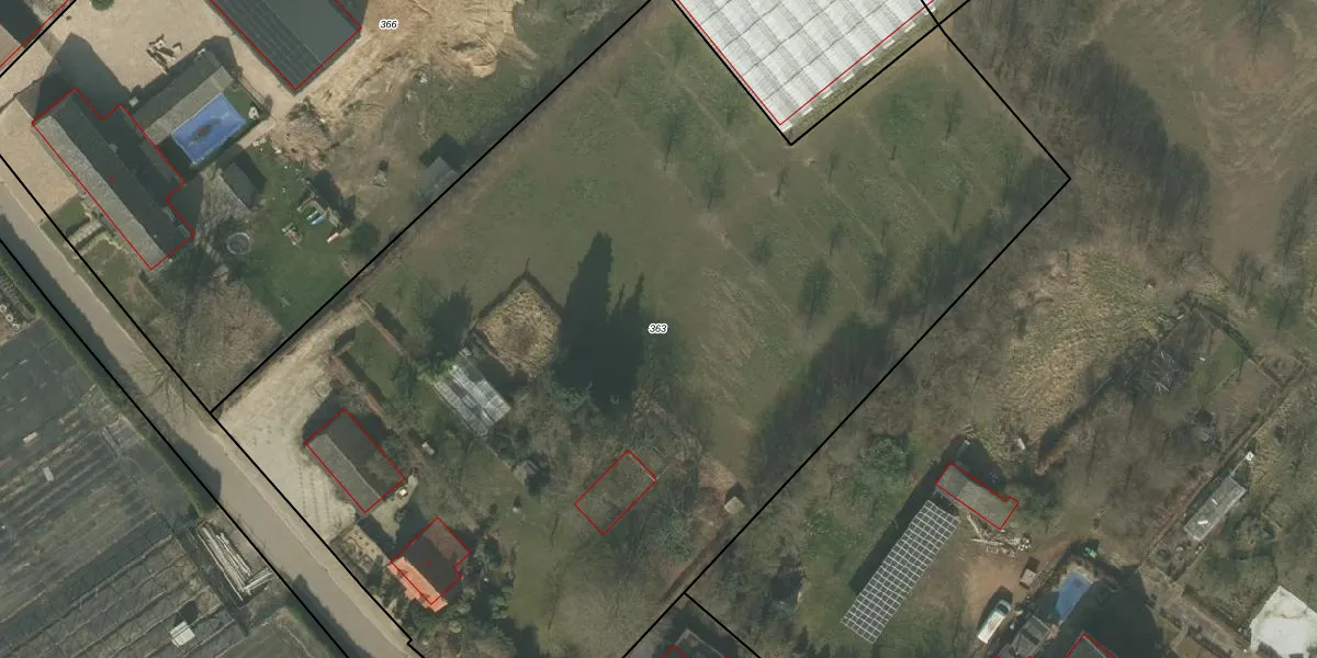
Perceel: ACN00-I-363
KadastraleKaart.com kan meer dan je denktOntdek meer ›
Filter op bestemming 50+ datasets Eigendomsdata in één klik Percelen CRM
7.288 m2 - 374 m
Eigenaar opvragen
ACN00-I-363 (Arcen en Velden)
- 5941 NE
42DIHWEJzwY6FDUpgrade naar KadastraleKaart Pro
Bekijk op Street View
Download DWG/DXF/Excel
6 S azxYqgjO30wUpgrade naar KadastraleKaart Pro
chQ5AD GY07JuZZUpgrade naar KadastraleKaart Pro
bN V6fF T8uh xLUpgrade naar KadastraleKaart Pro
qwOgrF NU4O U5BOUpgrade naar KadastraleKaart Pro
kHV OHMvt7MVPbEV B6U4yUpgrade naar KadastraleKaart Pro
5jqUEeQHcPMxSwlI FaL6Upgrade naar KadastraleKaart Pro
ox 8dRTAEqUpgrade naar KadastraleKaart Pro
TSmR ugMr3CyBnotZ MUpgrade naar KadastraleKaart Pro
a ckW8nyWpi 5Upgrade naar KadastraleKaart Pro
fU777SItUy YDNuq RWTkRUpgrade naar KadastraleKaart Pro
09/04/2008

Percelen
Gebruik de zoekbalk of klik op een perceel om informatie over het perceel te bekijken.