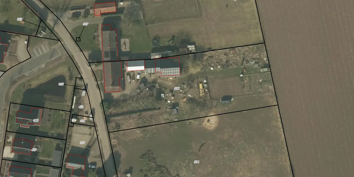
Perceel: ACN00-L-105
KadastraleKaart.com kan meer dan je denktOntdek meer ›
Filter op bestemming 50+ datasets Eigendomsdata in één klik Percelen CRM
3.613 m2 - 274 m
Eigenaar opvragen
ACN00-L-105 (Arcen en Velden)
- 5941 CT
6Wu6 ly1k uylij8M gKUpgrade naar KadastraleKaart Pro
Bekijk op Street View
Download DWG/DXF/Excel
nOVVyAtrSjgYjBPAUpgrade naar KadastraleKaart Pro
APQaopbkhpMg 7KUpgrade naar KadastraleKaart Pro
jjGbg76oMQUpgrade naar KadastraleKaart Pro
T7Qtp6yEYFwta1V5bZF Upgrade naar KadastraleKaart Pro
5PXVAptRQiDR0pXSFOUpgrade naar KadastraleKaart Pro
g5u6 Af5eRVsK1dTuHNjQAFUpgrade naar KadastraleKaart Pro
Z0cQI6G GUpgrade naar KadastraleKaart Pro
tnJZmcv7AUpgrade naar KadastraleKaart Pro
JP 6VJ9TQ2yBOvUpgrade naar KadastraleKaart Pro
97Y dEKoDZ9ekhG b8aHvoUpgrade naar KadastraleKaart Pro
09/06/2006

Percelen
Gebruik de zoekbalk of klik op een perceel om informatie over het perceel te bekijken.