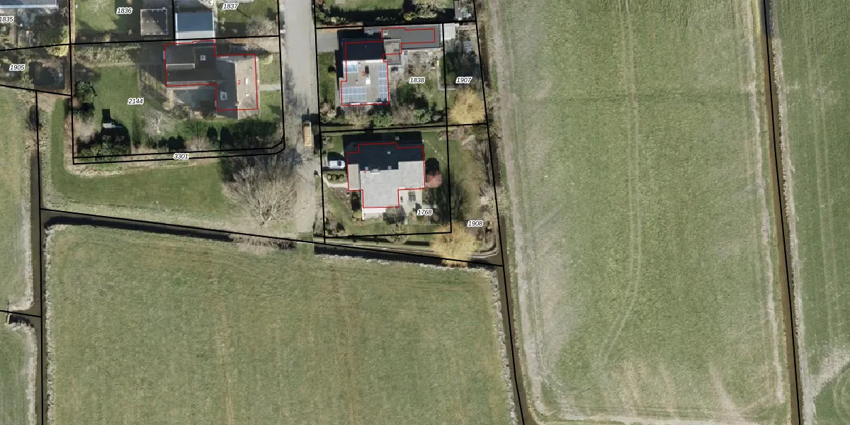
Perceel: ADA00-B-1768
KadastraleKaart.com kan meer dan je denktOntdek meer ›
Filter op bestemming 50+ datasets Eigendomsdata in één klik Percelen CRM
750 m2 - 110 m
Eigenaar opvragen
ADA00-B-1768 (Aduard)
- 9831 PG
sNICuoCHF t BEkfNX pEIVL FUpgrade naar KadastraleKaart Pro
Verkoopprijs opvragen
Bekijk op Street View
Download DWG/DXF/Excel
ARdn36gNcEIXUpgrade naar KadastraleKaart Pro
1hSQ AizniR Bf6P Upgrade naar KadastraleKaart Pro
r6pSj0uzlhsBUpgrade naar KadastraleKaart Pro
US78jYGMG 6lqPfZV pMqBHUpgrade naar KadastraleKaart Pro
YZBfcY CqzWBt7vdUpgrade naar KadastraleKaart Pro
G QQosBhT8sV9Upgrade naar KadastraleKaart Pro
EF5 Sw9UJMtp Upgrade naar KadastraleKaart Pro
u3HMX2 vUpgrade naar KadastraleKaart Pro
yh4r4BuqibUpgrade naar KadastraleKaart Pro
1ea6dKj8FQUpgrade naar KadastraleKaart Pro
14/11/1997

Percelen
Gebruik de zoekbalk of klik op een perceel om informatie over het perceel te bekijken.