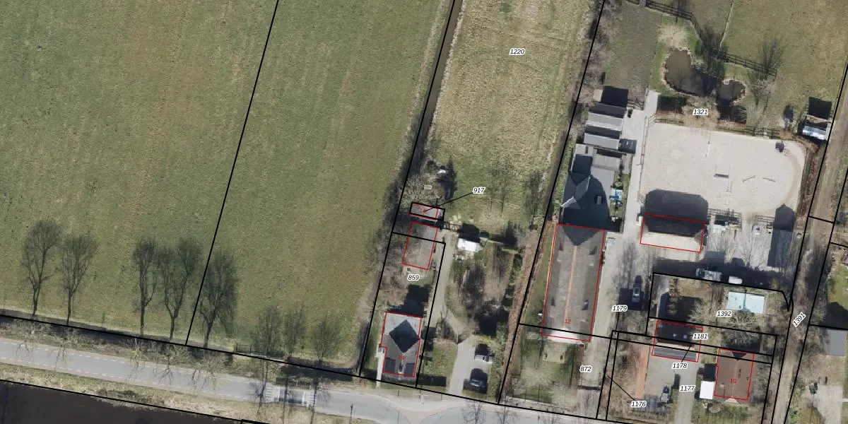
Perceel: ADA00-D-917
KadastraleKaart.com kan meer dan je denktOntdek meer ›
Filter op bestemming 50+ datasets Eigendomsdata in één klik Percelen CRM
28 m2 - 21 m
Eigenaar opvragen
ADA00-D-917 (Aduard)
- Geen postcode aanwezig
Gg50RQW 7C24do1MDi9K1Diac 1Upgrade naar KadastraleKaart Pro
Bekijk op Street View
Download DWG/DXF/Excel
olB1wGi cPtPJOxk1ourUT Upgrade naar KadastraleKaart Pro
3xbKxXZWkyJyuHZL78zvUpgrade naar KadastraleKaart Pro
BEXB5Txb61Upgrade naar KadastraleKaart Pro
tJNPGXCvi5DcoUpgrade naar KadastraleKaart Pro
Hme4L4J3c9tTNUpgrade naar KadastraleKaart Pro
Ms E4C7 I CEuu5NcqtUeeUpgrade naar KadastraleKaart Pro
cXaD5yz9Q1cUzT82BGlUpgrade naar KadastraleKaart Pro
FKUy 3F6EsZO gUpgrade naar KadastraleKaart Pro
Js05LgnynEHKEI17AKUpgrade naar KadastraleKaart Pro
yXKJeZ2rrbMRUpgrade naar KadastraleKaart Pro
07/10/1998

Percelen
Gebruik de zoekbalk of klik op een perceel om informatie over het perceel te bekijken.