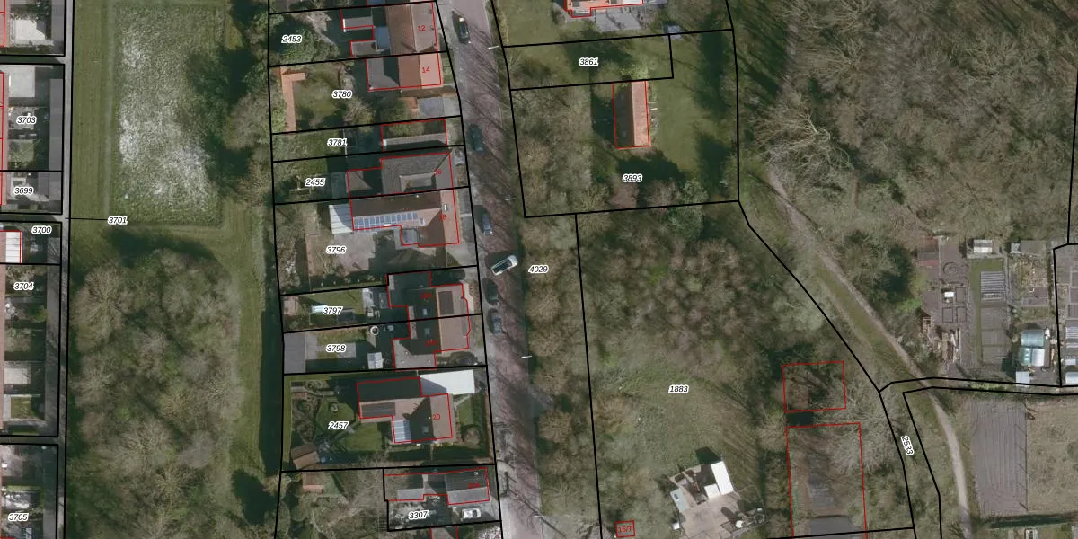
Perceel: ADB00-E-4029
KadastraleKaart.com kan meer dan je denktOntdek meer ›
Filter op bestemming 50+ datasets Eigendomsdata in één klik Percelen CRM
Geen adressen bij dit perceel
4.425 m2 - 723 m
Eigenaar opvragen
ADB00-E-4029 (Aardenburg)
- Geen postcode aanwezig
P8HqZeLck7s2IMkoMvUmhPMUpgrade naar KadastraleKaart Pro
Bekijk op Street View
Download DWG/DXF/Excel
KZ yCYoUAUpgrade naar KadastraleKaart Pro
3QYLTRBWItZUpgrade naar KadastraleKaart Pro
XWQm0 ZWrdcNnhqUpgrade naar KadastraleKaart Pro
QnRiQdjkk sUpgrade naar KadastraleKaart Pro
PylvlUMBM l2k52 4Upgrade naar KadastraleKaart Pro
06VfvE00o0o vNUpgrade naar KadastraleKaart Pro
K lx uIzUXy9f056BRm6g8Upgrade naar KadastraleKaart Pro
B8SeN0yIqUpgrade naar KadastraleKaart Pro
un7hS0eeU IoaoIS3I4 QaUpgrade naar KadastraleKaart Pro
YGIT iMnM8Upgrade naar KadastraleKaart Pro
03/03/2022

Percelen
Gebruik de zoekbalk of klik op een perceel om informatie over het perceel te bekijken.