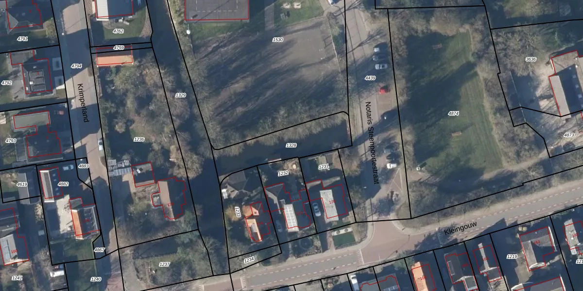
Perceel: ADK00-K-1328
Geen adressen bij dit perceel
520 m2 - 125 m
Eigenaar opvragen
ADK00-K-1328 (Andijk)
- Geen postcode aanwezig
emIsTUQ4tUTGNSRJ2Upgrade naar KadastraleKaart Pro
Bekijk op Street View
Download DWG/DXF/Excel
mhpj gv Upgrade naar KadastraleKaart Pro
gXg PKzXUpgrade naar KadastraleKaart Pro
wwaIZIv nOgxyk EUpgrade naar KadastraleKaart Pro
CDRP 3BJUpgrade naar KadastraleKaart Pro
dtlo WL Upgrade naar KadastraleKaart Pro
nNcGX CYwBPsesUUpgrade naar KadastraleKaart Pro
yC zbNR 7O qUpgrade naar KadastraleKaart Pro
qcrO2GDZnmMhpAylmp1Upgrade naar KadastraleKaart Pro
b DU Ro BSWKbbhJXwRUpgrade naar KadastraleKaart Pro
fRcNIAChL8di1y 2dzArJ5tUpgrade naar KadastraleKaart Pro
05/02/2002

Percelen
Gebruik de zoekbalk of klik op een perceel om informatie over het perceel te bekijken.