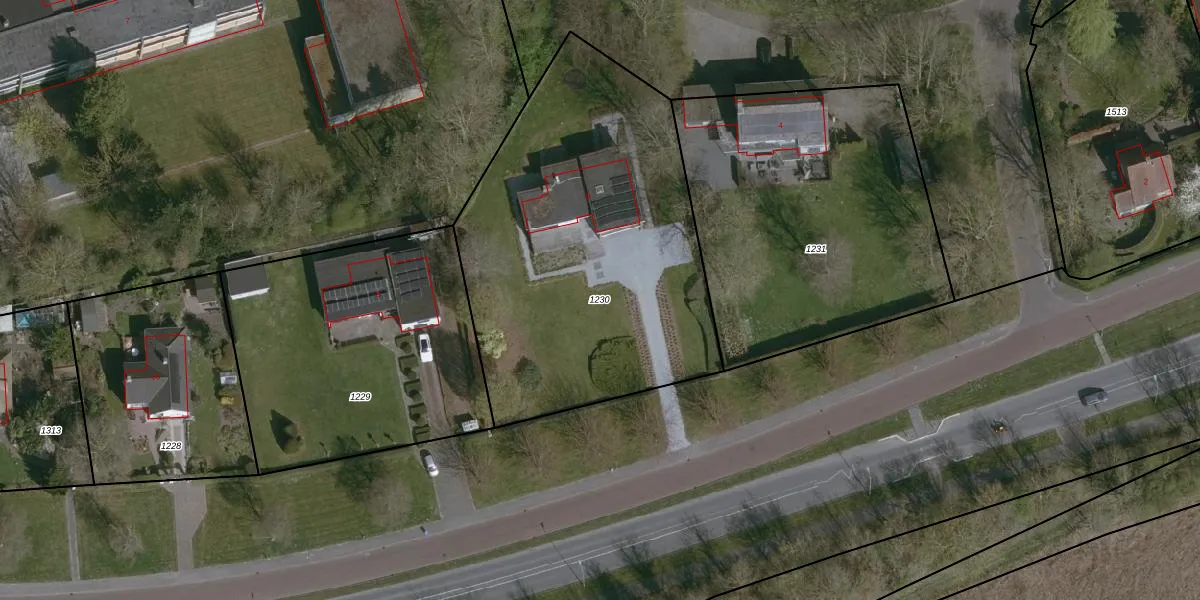
Perceel: AEL00-F-1230

Adres bij perceel

Perceeloppervlakte & perceelomtrek

2.026 m2 - 178 m

Eigenaar van het perceel

Eigenaar opvragen

Kadastrale aanduiding

AEL00-F-1230 (Axel)

Postcode in perceel

    4571 HP

Type eigenaar

h jII10gxnBUEdte rJ0o6JsCJULUpgrade naar KadastraleKaart Pro

Woning verkocht in 2023

Verkoopprijs opvragen

Google Street View

Bekijk op Street View

Download

Download DWG/DXF/Excel

Gerelateerde percelen

W xkX YwplkUpgrade naar KadastraleKaart Pro

Bebouwd/onbebouwd/water/groen

Bhqb9E GSedvgS58c DqLh0Upgrade naar KadastraleKaart Pro
Administratieve eenheden
t1uhI rWkIhcNS33ZAohUpgrade naar KadastraleKaart Pro

Appartementsrechten

Jc9rai1Sa3sUpgrade naar KadastraleKaart Pro

Vergunningverlenende instanties

xMrU njcPy1XE2LUpgrade naar KadastraleKaart Pro

Bedekking (BGT)

pnMwZP B3xXUpgrade naar KadastraleKaart Pro

Publiekrechtelijke beperkingen

5mGtzeZfGSQXegIQVUpgrade naar KadastraleKaart Pro

Grensnauwkeurigheid

GvTSOWK5A n lXUpgrade naar KadastraleKaart Pro

Coördinaten hoekpunten perceel

rb uvk bSnV6rT z4 r SoUpgrade naar KadastraleKaart Pro

Hoogteligging

WGa96UlcYaXQpdb70HoUpgrade naar KadastraleKaart Pro

Laatst gewijzigd

17/04/2003

Kadastrale kaart met maatvoering 59,95
Kadastrale kaart pakket 28,95

Percelen

Gebruik de zoekbalk of klik op een perceel om informatie over het perceel te bekijken.
Locatie
Meten
Lagen
Download