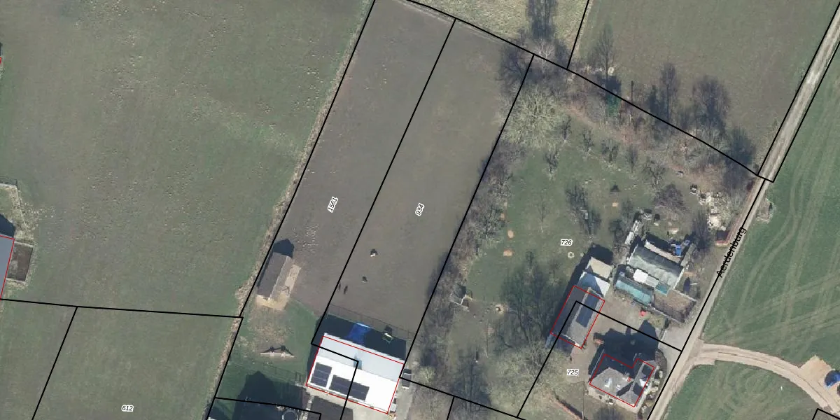
Perceel: AER00-B-934
KadastraleKaart.com kan meer dan je denktOntdek meer ›
Filter op bestemming 50+ datasets Eigendomsdata in één klik Percelen CRM
Geen adressen bij dit perceel
2.690 m2 - 338 m
Eigenaar opvragen
AER00-B-934 (Aerdt)
- Geen postcode aanwezig
7PS L78JXuev8mNUpgrade naar KadastraleKaart Pro
Bekijk op Street View
Download DWG/DXF/Excel
oonhDXZ VZ aSVPG Upgrade naar KadastraleKaart Pro
fYKdNw7DapW Upgrade naar KadastraleKaart Pro
Bm4oxvvfEnRGoUpgrade naar KadastraleKaart Pro
6zeCVpzDM4Zm 6zv 1UxJPUpgrade naar KadastraleKaart Pro
p23sYNgf3Bqj mUP4ug llsUpgrade naar KadastraleKaart Pro
nLEIPYiW8dX2uXGGzoWoMxUpgrade naar KadastraleKaart Pro
7FAabk5CahFiazDUpgrade naar KadastraleKaart Pro
oT PkBR fXg5AGoUpgrade naar KadastraleKaart Pro
m4wot HjI XSQ M5SdpUpgrade naar KadastraleKaart Pro
JMoKq13d 3OrUpgrade naar KadastraleKaart Pro
22/01/1999

Percelen
Gebruik de zoekbalk of klik op een perceel om informatie over het perceel te bekijken.