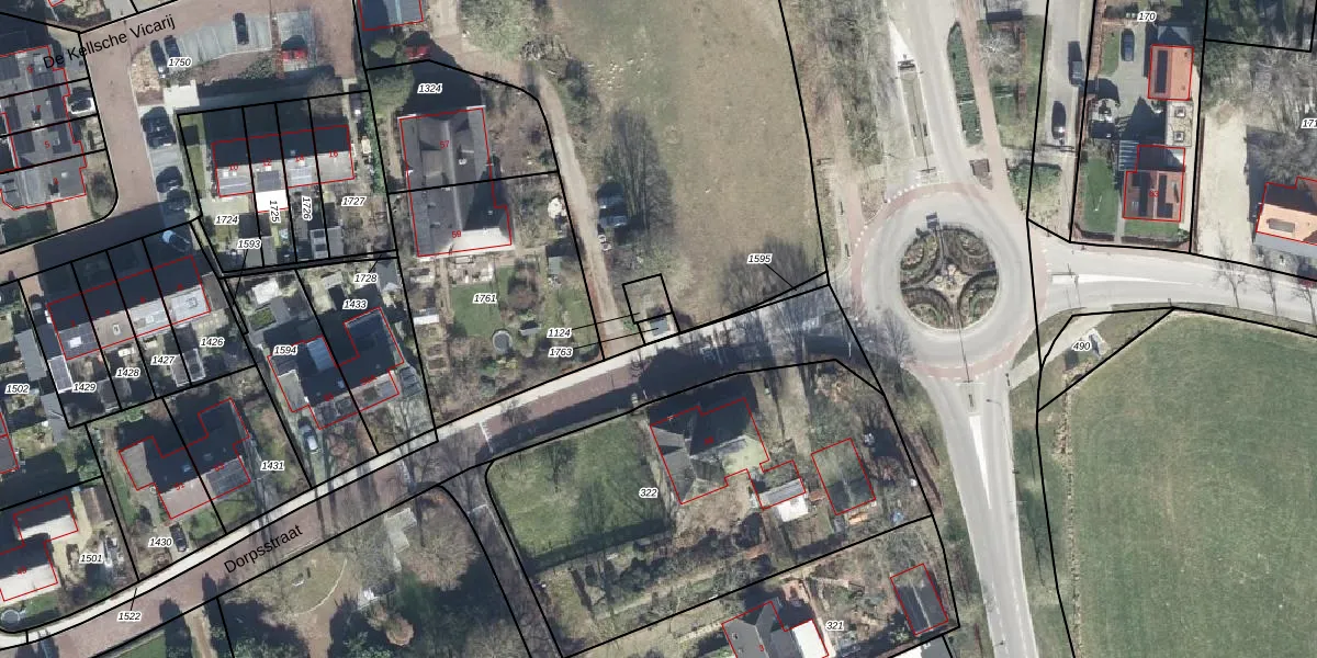
Perceel: AGL00-B-1763
KadastraleKaart.com kan meer dan je denktOntdek meer ›
Filter op bestemming 50+ datasets Eigendomsdata in één klik Percelen CRM
Geen adressen bij dit perceel
19 m2 - 18 m
Eigenaar opvragen
AGL00-B-1763 (Angerlo)
- Geen postcode aanwezig
E92RfgvA5myfjAKO5YJXuJ8Upgrade naar KadastraleKaart Pro
Bekijk op Street View
Download DWG/DXF/Excel
fIvkWf 4DHuKSBQt Upgrade naar KadastraleKaart Pro
YXUNmYtVUpgrade naar KadastraleKaart Pro
t b6kdvf7Hi9HlVARbUpgrade naar KadastraleKaart Pro
0yHi 39LgzGSwgdb6RPUpgrade naar KadastraleKaart Pro
M TzWcq0iLr4qAlhKUpgrade naar KadastraleKaart Pro
nyQimOzBuJ59Upgrade naar KadastraleKaart Pro
edQC YU n IUpgrade naar KadastraleKaart Pro
v OWmwTD GbFDUpgrade naar KadastraleKaart Pro
hcYKnJvTRm3QD1cx21RUpgrade naar KadastraleKaart Pro
8VLcERM0VPUpgrade naar KadastraleKaart Pro
21/07/2022

Percelen
Gebruik de zoekbalk of klik op een perceel om informatie over het perceel te bekijken.