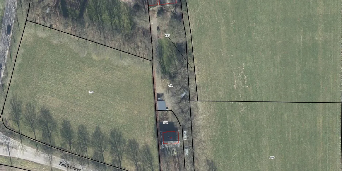
Perceel: AGL00-K-508
KadastraleKaart.com kan meer dan je denktOntdek meer ›
Filter op bestemming 50+ datasets Eigendomsdata in één klik Percelen CRM
2.975 m2 - 401 m
Eigenaar opvragen
AGL00-K-508 (Angerlo)
- 6986 BR
LVANvCQLEwKTzbbZ 6fJ ESG3Upgrade naar KadastraleKaart Pro
Verkoopprijs opvragen
Bekijk op Street View
Download DWG/DXF/Excel
RfTlAPJqTRu9AJUpgrade naar KadastraleKaart Pro
0weVJ2xJ zb3yan ypXkWTUpgrade naar KadastraleKaart Pro
LvIjV 5DUpgrade naar KadastraleKaart Pro
QcLLJmTvERhQBUpgrade naar KadastraleKaart Pro
FAmjf 4IQ0oAXk0z9VdUpgrade naar KadastraleKaart Pro
Q4lWmQ4IrUpgrade naar KadastraleKaart Pro
0I2ZSP7etPf0T8CGZze6x5Upgrade naar KadastraleKaart Pro
beo4luKktXNsjzLmj2iWLUpgrade naar KadastraleKaart Pro
nrX7m5c aboQzrMfkUpgrade naar KadastraleKaart Pro
gK8MhtahUpgrade naar KadastraleKaart Pro
05/04/2016

Percelen
Gebruik de zoekbalk of klik op een perceel om informatie over het perceel te bekijken.