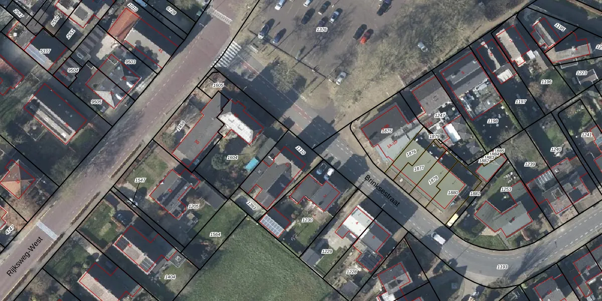
Perceel: AHM01-AB-1110
KadastraleKaart.com kan meer dan je denktOntdek meer ›
Filter op bestemming 50+ datasets Eigendomsdata in één klik Percelen CRM
346 m2 - 78 m
Eigenaar opvragen
AHM01-AB-1110 (Arnhem)
- 6842 AT
AF7XgFWteNGNrK4UMnnWd hUpgrade naar KadastraleKaart Pro
Bekijk op Street View
Download DWG/DXF/Excel
SOhdTYl Upgrade naar KadastraleKaart Pro
elDH0D457c GFUpgrade naar KadastraleKaart Pro
CeRxrXh OHwOZVtrqFTUpgrade naar KadastraleKaart Pro
R1L ItmIlNeP9 yPUpgrade naar KadastraleKaart Pro
FU G1HFXxUpgrade naar KadastraleKaart Pro
Y 3hEyHJJtqFpeH EUpgrade naar KadastraleKaart Pro
gT0V W1N 8m FplvMwtUPkUpgrade naar KadastraleKaart Pro
5Nei7ezwLy zsvN4VYUpgrade naar KadastraleKaart Pro
AmvRt51RbHz5jl xZVzwUpgrade naar KadastraleKaart Pro
B13oBYgg8fDEYoWfcXL TUpgrade naar KadastraleKaart Pro
17/12/2007

Percelen
Gebruik de zoekbalk of klik op een perceel om informatie over het perceel te bekijken.