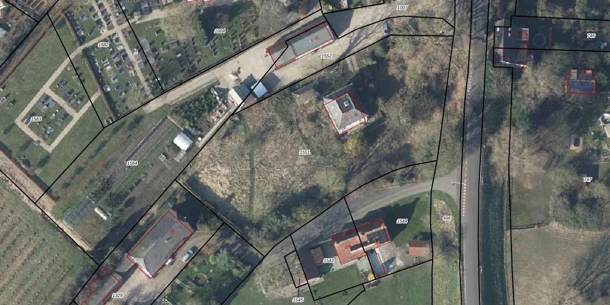
Perceel: AHM01-AB-1551
KadastraleKaart.com kan meer dan je denktOntdek meer ›
Filter op bestemming 50+ datasets Eigendomsdata in één klik Percelen CRM
3.535 m2 - 269 m
Eigenaar opvragen
AHM01-AB-1551 (Arnhem)
- 6842 AK
ouSZrh gdSHkn1OrBfUpgrade naar KadastraleKaart Pro
Bekijk op Street View
Download DWG/DXF/Excel
g6uA2v6 Upgrade naar KadastraleKaart Pro
A ly5DOiPUpgrade naar KadastraleKaart Pro
0GB8DokMbSvYzveMxBxH Upgrade naar KadastraleKaart Pro
yY4j59mbI R3B 3KIWKUpgrade naar KadastraleKaart Pro
CK c K0SUpgrade naar KadastraleKaart Pro
Sj 6QIs4F5qF3KRUpgrade naar KadastraleKaart Pro
1bb4O rK4 RaUWUpgrade naar KadastraleKaart Pro
S vwNLKoQ0 7Ur Upgrade naar KadastraleKaart Pro
v ncEyvjP6 rPUpgrade naar KadastraleKaart Pro
ArirmUke3MBTRVTaUpgrade naar KadastraleKaart Pro
23/08/2005

Percelen
Gebruik de zoekbalk of klik op een perceel om informatie over het perceel te bekijken.