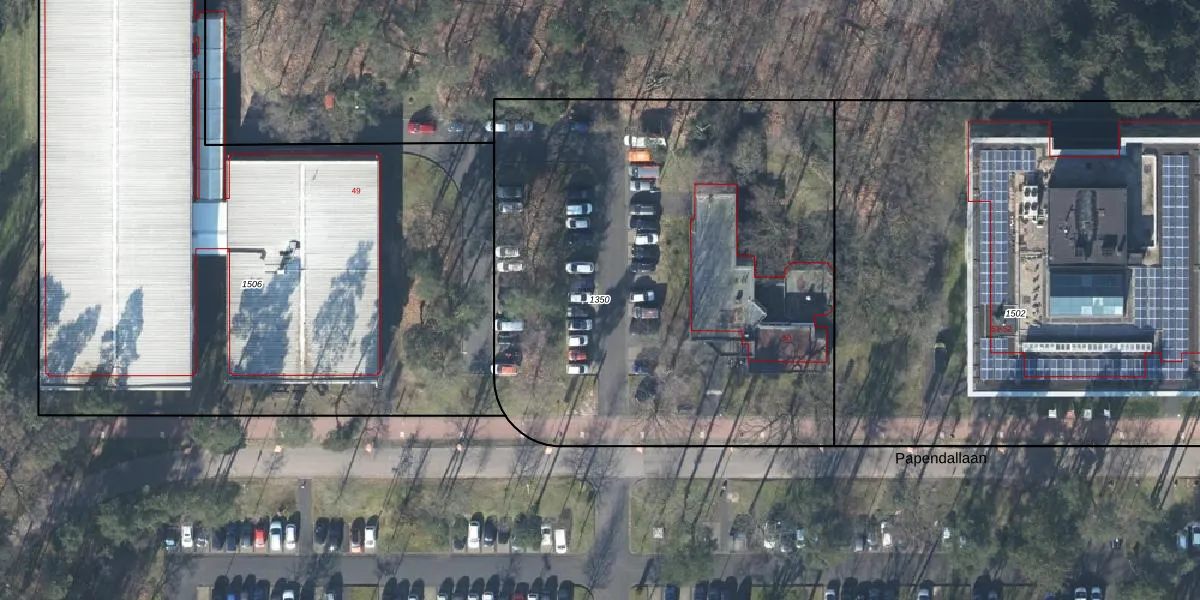
Perceel: AHM01-H-1350
KadastraleKaart.com kan meer dan je denktOntdek meer ›
Filter op bestemming 50+ datasets Eigendomsdata in één klik Percelen CRM
3.250 m2 - 224 m
Eigenaar opvragen
AHM01-H-1350 (Arnhem)
- 6816 VD
45sJFUi63g8WmgrM0c32oI 6qxAUpgrade naar KadastraleKaart Pro
Bekijk op Street View
Download DWG/DXF/Excel
z9 eOL8ziuOZrq8Upgrade naar KadastraleKaart Pro
hgGGh 7BFK7Upgrade naar KadastraleKaart Pro
o1 KQ6PnbUpgrade naar KadastraleKaart Pro
FN0E2r6En2 1Upgrade naar KadastraleKaart Pro
JYNVj0ktYjSt8u5dUpgrade naar KadastraleKaart Pro
PtBGdJeWmt26XWbmlulPUpgrade naar KadastraleKaart Pro
MDDu2duNG9T P3 snCPz Upgrade naar KadastraleKaart Pro
tLwcTGI6Oq7reFOS5Upgrade naar KadastraleKaart Pro
6KCYpd5Fz2VMHCWUpgrade naar KadastraleKaart Pro
bG7U doI0UCUpgrade naar KadastraleKaart Pro
10/12/2010

Percelen
Gebruik de zoekbalk of klik op een perceel om informatie over het perceel te bekijken.