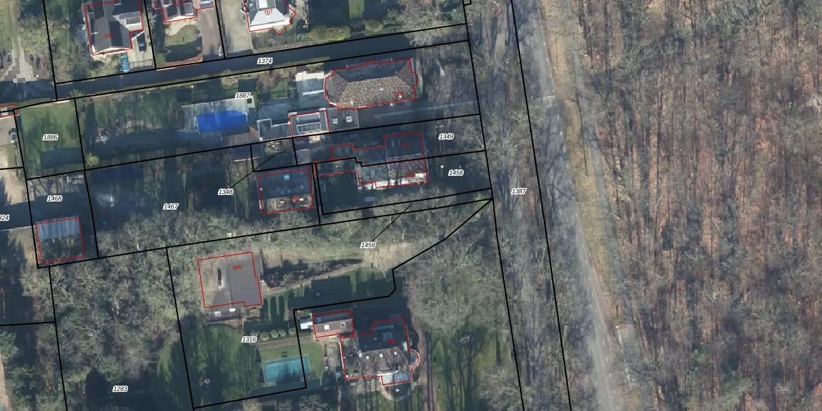
Perceel: AHM01-I-1459
KadastraleKaart.com kan meer dan je denktOntdek meer ›
Filter op bestemming 50+ datasets Eigendomsdata in één klik Percelen CRM
Geen adressen bij dit perceel
120 m2 - 115 m
Eigenaar opvragen
AHM01-I-1459 (Arnhem)
- Geen postcode aanwezig
DBtCrXeZTVJjpec0J5DSUpgrade naar KadastraleKaart Pro
Bekijk op Street View
Download DWG/DXF/Excel
kInIf1Ad Upgrade naar KadastraleKaart Pro
2cUAgfXntSm q2 oxR4Upgrade naar KadastraleKaart Pro
J YXdLUxgE9vPuGwd PUpgrade naar KadastraleKaart Pro
axToUURpAcZUpgrade naar KadastraleKaart Pro
EbzcUjsH7mSyMwUpgrade naar KadastraleKaart Pro
RP5JJ D5QK6qV7yn gUpgrade naar KadastraleKaart Pro
UxXoUg AGzGUpgrade naar KadastraleKaart Pro
6PRNhBzbx8DNyGmyiEgd7jUpgrade naar KadastraleKaart Pro
17d lpkDmQ3Upgrade naar KadastraleKaart Pro
C6anuL9BQaAIQBGEdo adiUpgrade naar KadastraleKaart Pro
04/02/2003

Percelen
Gebruik de zoekbalk of klik op een perceel om informatie over het perceel te bekijken.