Perceel
Oppervlakte
371 m²
Aantal adressen
Aanduiding
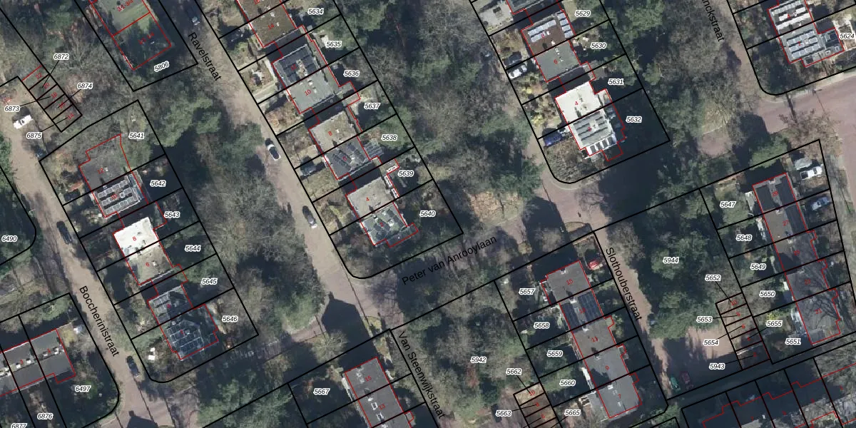
AHM01-N-5640 - Arnhem
Verkocht in
2015 - Verkoopprijs opvragen
Eigendom
Eigenaar
Eigenaar opvragen
Type eigenaar
ORdBgX8KX0nsOUU Dvx 1XipZ3Upgrade naar KadastraleKaart Pro
Appartementsrechten
Identificatie
5FpH9bPxv3HyoZb5p Upgrade naar KadastraleKaart Pro
Gerelateerde percelen
Aanduiding
CC0 e vQX O9gaUpgrade naar KadastraleKaart Pro
Ligging
Meer functies

Percelen
Gebruik de zoekbalk of klik op een perceel om informatie over het perceel te bekijken.