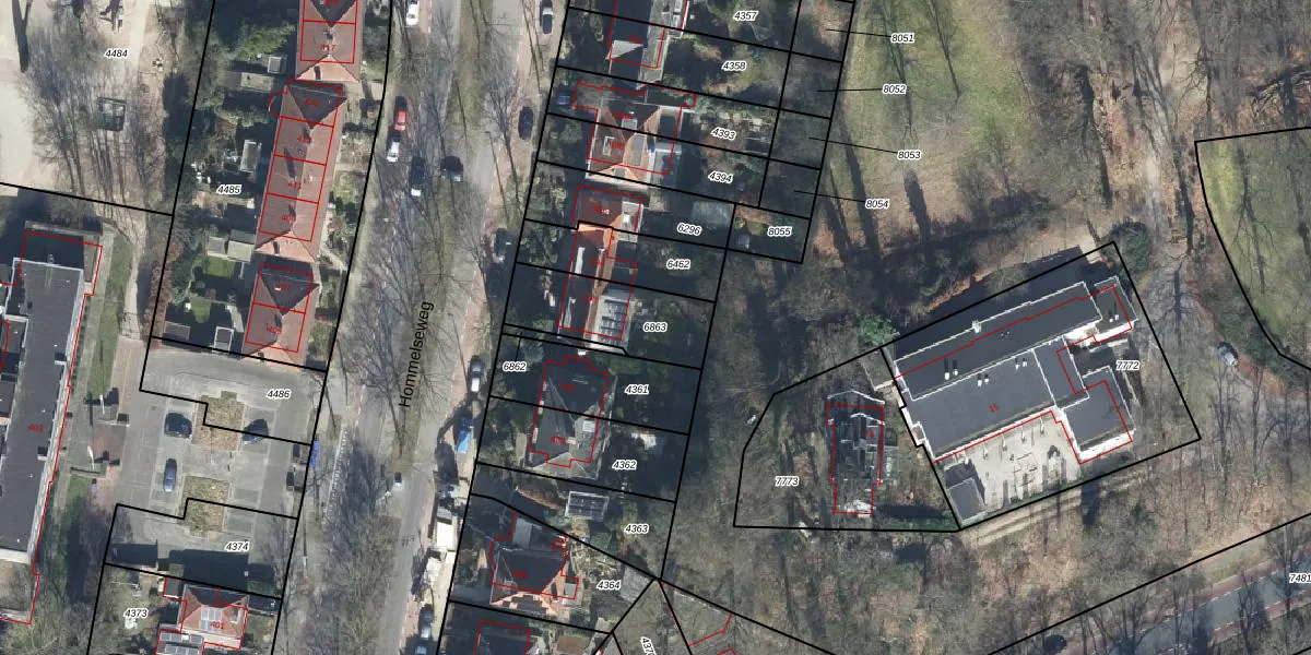
Perceel: AHM01-N-6863
307 m2 - 83 m
Eigenaar opvragen
AHM01-N-6863 (Arnhem)
- 6821 LX
DOPp xvMhM lN zBQLjUpgrade naar KadastraleKaart Pro
Verkoopprijs opvragen
Bekijk op Street View
Download DWG/DXF/Excel
rAG0QiNe8ikzS HFHGxC Upgrade naar KadastraleKaart Pro
Vamp7OUkEeaGAKNUpgrade naar KadastraleKaart Pro
H7 awSn xptQUpgrade naar KadastraleKaart Pro
rIRXNKw8vsFU1O F Upgrade naar KadastraleKaart Pro
LIuonH FaBgUpgrade naar KadastraleKaart Pro
oENR Sq10LUpgrade naar KadastraleKaart Pro
IGdImgl97 0wgR6I6i ZzUpgrade naar KadastraleKaart Pro
VCX wQoZUpgrade naar KadastraleKaart Pro
aGg VOjRZ8xvES76Ost um8Upgrade naar KadastraleKaart Pro
ZDa7TAzOKMe Upgrade naar KadastraleKaart Pro
13/12/2005

Percelen
Gebruik de zoekbalk of klik op een perceel om informatie over het perceel te bekijken.